Жимолость можна часто зустріти на присадибних ділянках, городах і садах, і це не дивно, адже крім ефектного рослини, що не вимагає делікатного догляду, садівник отримує смачні і ароматні ягоди, які давно відомі своїми корисними властивостями. Існує безліч сортів і різновидів цієї культури, які відрізняються зовнішнім виглядом і термінами дозрівання. У статті розглянуто їстівний сорт Шахін, дивовижний смак якого, судячи з відгуків, оцінений по достоїнству багатьма городниками.
Опис сорту
Кущі сорту відносяться до середньорослих і среднераскидистым, з товстими, прямими пагонами червоно-бурого кольору. Листя середнього розміру, темно-зеленого відтінку, з невеликими щербинами по краях. Суцвіття жимолості Шахін володіють великими розмірами і блідо-жовтим кольором.
Історія селекції
Жимолость Шахін виведена в Підмосков'ї, завдяки працям селекціонера Л. Кумінова. В кінці 1990-х рр. цей великоплідний їстівний сорт включений до Держреєстру Росії.
У якості вихідних матеріалів використовувалися сіянці дикої жимолості, завезені з Камчатської і Магаданської областей, де вони виростали в долинах річок, затоплених повінню. Відповідно до опису, сорт отримав свою назву, завдяки будовою куща і плодів. Автор сорту побачив у пагонах руки шахині, опускаються на плечі своїх придворних, а в ягодах — її сережки.
Зовнішній вигляд, характеристики ягід, час дозрівання, врожайність
Плоди відрізняються великими розмірами і подовженої циліндричної форми, з різко-обрубаною верхівкою. Середня маса однієї ягоди досягає 1,2 м, а її довжина варіюється в межах 1,6–4 див. Шкірочка тонка, але досить щільна, має темно-синій відтінок і вкрита зеленим нальотом.

Смак плодів десертний, кисло-солодкий. Гіркота відсутня. М'якоть, соковита і ароматна, оцінена на 4,8 балів з 5. Шахін відноситься до універсальних сортів, які можна вживати у свіжому вигляді і готувати з них соки, варення, компоти, джеми.
Ягоди цієї культури багаті вітамінами і мікроелементами, необхідними для організму людини.
Серед них вітаміни:
| А | антиоксиданти, необхідні для здоров'я очей, шкіри, волосся, кісткової тканини і стійкого імунітету |
| В1, В2 | позитивно впливають на роботу ШЛУНКОВО-кишкового тракту, серця і нервової системи, значно покращують стан шкірного покриву і воло |
| С | різновид антиоксидантів, що зміцнюють імунітет організму і прискорюють загоєння ран, нормалізують метаболізм і чистять організм від токсинів |
| К | елемент, що впливає на підвищення згортання крові |
Крім вітамінів, в ягодах присутні: Са (кальцій), М (магній), До (калій), Na (натрій), P (фосфор). Жимолость містить 100% вуглеводів, що робить плоди важливими помічниками в отриманні енергії.

Переваги і недоліки
- Шахін є одним з найкращих солодких сортів жимолості і має масу переваг:
- великі плоди;
- високі смакові показники;
- висока врожайність;
- морозостійкість;
- низька осипаемость ягід.
Недоліки сорту не виявлені.
Агротехніка
Незважаючи на загальну невибагливість у відході, жимолость все ж вимагає проведення низки агротехнічних заходів, які впливають не тільки на здоров'я і розвиток куща, але і на якість і кількість врожаю.
Вибір місця під посадку
Оптимальним місцем під посадку кущів жимолості стане рівна або злегка нахилена частину ділянки, з достатньою кількістю природного освітлення і захищена від вітру і протягів. Відсутність сонячного світла призведе до скорочення цвітіння і, як наслідок, зменшення врожаю.

Культура невибаглива до структури ґрунту, в якій росте, однак варто уникати піщаного грунту, особливо з підвищеною кислотністю. Залягання грунтових вод має бути не менше 1 м.
Посадка і догляд
Висаджувати жимолость рекомендується в осінній або весняний період:
- Восени — оптимальним строком стане вересень — середина жовтня, оскільки вже у другій декаді літа рослина завершує процеси росту і починає закладати верхівкові бруньки. Починаючи з цього періоду і аж до початку весни, культура знаходиться в стані спокою, а тому здатна легко перенести посадку.
- Навесні — для посадки вибирають час до початку періоду вегетації, після якої культура буде погано приживатися і часто хворіти.
Процес посадки здійснюється в кілька етапів:
- За кілька днів до передбачуваної посадки готується посадкова яма, розмір якої може змінюватися в залежності від кореневища. Оптимальним варіантом вважається лунка 40×40 см. Відстань між кущами не повинно бути менше 1,5 м, а міжрядь — 2 м.
- В посадкову яму попередньо вносять добриво: органіку (10 кг перегною або гною), подвійний суперфосфат (100 г), сульфат калію (30 г), деревну золу (300 г).
- утворився На пагорб виставляють рослина. Попередньо у кущів струшують і розпрямляють коріння.
- Саджанець засипають ґрунтом і поглиблюють так, щоб коренева шийка була на 4-5 см нижче землі.
- Ґрунт акуратно притоптують. Кожен саджанець поливають 1 відром води і мульчують торфом або перегноєм.

У наступні 3 роки життя рослині потрібно своєчасний полив, кількість якого впливає на смакові характеристики ягід. Щоб уникнути появи гіркоти, кожен кущ слід поливати 10 л води близько 3 разів за сезон. Однак, в умовах стійкої спеки, зволоження ґрунту може знадобитися частіше.
По закінченні перших років життя, 1 раз у кілька років жимолость потребуватиме підгодівлі. Ця культура воліє органіку, а тому навесні під кожен кущ вносять по 1 відру перегною (також підійде перепрілий гній). Восени потрібно підгодувати рослини деревною золою (150 г на 1 кущ).
Також, в період танення снігу, рекомендується додаткова підживлення азотними добривами (1 ст. л. сечовини розводиться в 1 відрі води), а перед початком цвітіння — позакореневе підживлення комплексними добривами (згідно інструкції).
Особливості запилення
Жимолость характеризується перехресним запиленням, а тому в умовах самозапилення урожай на кущах практично відсутня, а ті ягоди, які все-таки зав'язалися, володіють малими розмірами і кислим смаком. Ставлячись до самобесплодным рослинам, ця культура вимагає сусідства відразу декількох сортів жимолості.

При цьому, чим більше різних сортів буде висаджено поруч, тим більший урожай очікується в результаті. При виборі потрібних сортів рекомендується звернути увагу на такі характеристики як смак плодів, строки та особливості дозрівання, а також показники осипаемость ягід. Оптимальними для запилення Шахині є сорти Купа мала, Московська 23, Гжелка і Раменская.
Боротьба з хворобами і шкідниками
У період, коли жимолость не користувалася такою широкою популярністю, як сьогодні, існувала думка, що ця культура практично не схильна до захворювань і нападів шкідників. Однак після поширення цієї рослини стало зрозуміло, що твердження в корені невірно.
Відомо кілька основних хвороб, які можуть вражати жимолость, завдаючи шкоди не тільки врожай, але і стаючи причиною загибелі чагарників:
- Рамуляриоз — грибкове захворювання, яке проявляється висушуванням окремих фрагментів листків (вони стають темно-бурого кольору). З плином часу хвороба охоплює весь аркуш, а спори грибка розносяться далеко за межі самого куща. В якості боротьби заражені листя акуратно видаляють зі стебла і спалюють. Також слід збирати всю опале листя і провести обробку бордоською рідиною.
![Рамуляриоз жимолості Рамуляриоз жимолості]()
- Церкоспороз — грибок, який в початковій стадії має вигляд темно-зелених плям. Надалі уражені ділянки набувають бурий або світло-сірий відтінок. Вдаючись до заходів боротьби, опалу і заражену листя видаляють з куща і спалюють, проводять обрізку рослин, яка запобігає загущення чагарників і покращує циркуляцію повітря, а також регулярно підгодовують жимолость мінеральними добривами.
![Церкоспороз Церкоспороз]()
- Туберкуляриоз — захворювання, яке призводить на початковому етапі до появи темних плям на листках, а згодом стає причиною занепаду всього листяного покриву. Також страждають і окремі пагони, на яких утворюються червоно-коричневі бугри. В якості профілактики уражені фрагменти слід видалити з рослини і спалити, а також провести обробку бордоською рідиною (на початку весни і після періоду цвітіння).
![Туберкуляриоз жимолості Туберкуляриоз жимолості]()
- Борошниста роса — поширене захворювання, яке має вигляд паутинообразного білого нальоту на листках і пагонах рослини. З часом всі уражені фрагменти засихають і обпадають. Запобігти поширенню хвороби можна за допомогою видалення всіх заражених частин куща, а також обробки жимолості сірковмісними препаратами.
![Борошниста роса на жимолості Борошниста роса на жимолості]()
- Мот — хвороба, яка стає причиною зміни природної забарвлення листя (з'являються жовті вкраплення і білясті штрихи). Переносниками захворювання стають деякі види нематод. Мот не лікується за допомогою хімпрепаратів, а тому уражені фрагменти куща видаляють і спалюють.
![Мот жимолості Мот жимолості]()
Серед найпоширеніших шкідників, які завдають шкоди жимолості, зазначають:
- Листовертку — вид метеликів, гусениці яких, харчуючись, здатні знищити цілі кущі культури (не тільки листя, але і пагони). В якості боротьби з шкідником застосовується обприскування інсектицидами.
![Жимолость пошкоджена листовійкою Жимолость пошкоджена листовійкою]()
- Пальцекрылку — гусениці цього виду метеликів, що живляться плодами рослини, що можуть значно знизити кількість врожаю.
![Гусениця пальцекрылки Гусениця пальцекрылки]()
- Тлю — шкідники, які, живлячись соком листя і пагонів, призводять до виснаження та ослаблення всього куща. В якості боротьби з комахами часто застосовують народні способи. Наприклад, настій тютюну в поєднанні з мильним розчином (в пропорціях 100 г на 1 відро води).
![Пошкоджені попелиць листя жимолості Пошкоджені попелиць листя жимолості]()
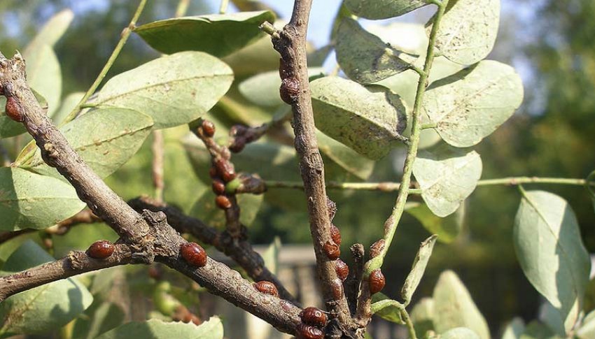
- Щитовку — шкідники, які, прикріплюючись на пагони куща, які живляться його соками. При сильному ослабленні, жимолость може не тільки припинити плодоношення, а й загинути.
![Щитівки на жимолості Щитівки на жимолості]()
У боротьбі з шкідниками часто застосовують інсектицидні препарати. Обробка хімікатами повинна проводитися тільки в суху безвітряну погоду, у формі дрібнокрапельне обприскування.
Обрізування і формування крони
Для поліпшення росту і збільшення врожайності, жимолость, як і будь-чагарник, потребує проведення формує і омолоджувальної обрізки. Зазвичай така процедура проводиться при досягненні кущем 5-річного віку. Оптимальним часом проведення вважається весна (кінець березня — початок квітня), хоча осіння обрізка також допустима.
При омолаживании слід видаляти старі гілки, а також частини стебла, на яких відбувається розгалуження великої порослі. Під час формувального обрізування категорично не можна зрізати верхівки пагонів — саме вони дають максимальну кількість суцвіть і, відповідно, відповідають за кількість майбутнього врожаю.

Також, можна обрізати скелетні гілки по саме підставу — нирки, відновлюють крону, розташовуються в місцях розгалуження скелетних гілок. Укорочення проводиться на нижньому ярусі куща, на якому гілки не дають урожай, але часто заважають при догляді за рослиною.
Зимівля
Жимолость є морозостійкою культурою, яка переносить зниження температури до -50°С. Навіть в період цвітіння заморозки до -8°С ніяк не відіб'ються на стані куща і майбутнього врожаю. Також кущі жимолості не піддаються нападам гризунів. Саме тому їстівні сорти можуть легко зимувати без проведення спеціальної підготовки до холодів.
Збір і зберігання врожаю
Оскільки Шахін відноситься до не обсипається сортам, збір врожаю проводиться як можна пізніше — після придбання ягодами необхідного синього кольору, плоди повинні залишатися на гілці не менше 1-2 тижнів, що додасть їм насолода смаку. Краще прибирати урожай жимолості шляхом струшування куща (попередньо земля під кущем закривається плівкою або тканиною).

Оскільки ягоди мають дуже тонку шкірку, збирати і складати їх потрібно вкрай обережно, в один шар. Плоди жимолості погано переносять транспортування і не володіють високою лежкістю (навіть за умови зберігання в холодильнику). Виходом із ситуації може послужити заморожування або сушіння ягід.
Популярність жимолості на присадибних ділянках зростає з кожним роком. Це рослина, володіючи високими смаковими якостями і корисними властивостями, заслужило міцну репутацію як серед досвідчених садівників, так і серед новачків. Додатковою перевагою цієї культури є її абсолютна невибагливість у догляді і висока зимостійкість — для отримання багатого врожаю потрібно докласти мінімум зусиль, незважаючи на клімат та погодні умови регіону вирощування.

Які сорти жимолості посадити, щоб потім не жалкувати? Вибираємо найкращі
Жимолость їстівна і декоративна: сорти та їх особливості 













