Якщо сорт груші, створений 170 років тому, досі культивується, значить, він того вартий. Сучасні селекціонери, явно не сидять склавши руки, так і не змогли створити конкурента груші Деканка дю Коміс, чий смак виявився, дійсно, неповторним. Детальніше про це заслуженому грушевому сорті читайте далі у статті.
Історія селекції і регіон виведення сорту
Грушевий сорт з хитромудрою назвою Деканка дю Коміс був створений у Франції в позаминулому столітті (1849 р.) ентузіастами Анжерского садівничого товариства. Сталося це внаслідок змішаного посіву насіння в громадському саду, з-за чого даний сорт іноді іменують Деканкой громадської.
Опис та характеристика сорту
Ця груша належить до сортів з пізньо осіннім строком дозрівання і характеризується плодами, що володіють неабияким смаком.
Опис дерева

Воно володіє середньою зимостійкістю, гинучи при температурі нижче -30°С.
Дерево демонструє хороший імунітет, успішно протистоячи парші та деяким іншим грушевим хвороб.
У період плодоношення вступає пізно — лише на 6-7 рік і досить повільно збільшує врожайність.
Потребує сторонніх опылителях, кращі з яких представлені:
- Конференцією;
- Улюбленицею Клаппа;
- Маливчанкой;
- Говерлою.
Опис плодів
Плоди описуваного сорти мають нетипову для груш форму довгастого овалу. Їх вага коливається між 180 і 250 г, а забарвлення тонкої шкірки характеризується жовтим кольором з оранжево-червоним рум'янцем.
М'якоть білого кольору, ніжної консистенції відрізняється соковитістю і стійким, неординарним смаком, який дегустаторами частіше всього оцінюється 4,9 бала з 5 можливих.
Терміни цвітіння і плодоношення
Будучи пізньо осіннім грушевим сортом, Деканка дю Коміс вступає в період цвітіння в кінці травня, а при холодній погоді — на початку червня. До знімної зрілості груші підходять в останній декаді вересня, а споживча стиглість розтягується до середини жовтня-початку листопада.
Стійкість сорту
Як вже говорилося, обговорюваний сорт володіє вродженим імунітетом до бичу фруктових дерев — парші, а також до деяких інших грушевим хвороб. Витримуючи холоду, не опускаються нижче -30°С, це грушеве дерево все ж таки віддає перевагу більш високі температури для свого комфортного зростання.

Плюси і мінуси сорти
Головним і незаперечним достоїнством, описуваного грушевого сорти, є його неповторний смак. Також, до істотних переваг відносять його стійкість до грибкових хвороб.
- Серед недоліків називають:
- помірну холодостійкість;
- вимогливість до догляду;
- досить скромну врожайність.
Особливості посадки
Процес посадки саджанців даного грушевого сорти практично не відрізняється від способів посадки інших груш, при цьому слід враховувати особливу вимогливість Деканки дю Коміс до вологості грунту і освітленості, поєднаної з теплом.
Коли краще садити
Садять цю грушу найчастіше навесні, коли є 100-відсоткова гарантія неповернення весняних заморозків. У середній смузі цей період, найчастіше, випадає на середину або третю декаду травня.
У регіонах з більш теплим кліматом можлива і осіння посадка, здійснювана за пару місяців до настання холодів. Це дозволяє саджанцю зміцнитися на новому місці перед зимовим періодом.
Читайте також про особливості вирощування інших сортів груш осіннього строку дозрівання:
Як вибрати саджанці для посадки
Купувати саджанці не самого поширеного у нас грушевого сорту, краще в розплідниках, гарантують достовірність запропонованого посадкового матеріалу. Краще всього купувати 2-річні саджанці, володіють найвищим відсотком приживлюваності.
Під час придбання необхідно ретельно перевіряти:
- цілісність кори, на якій не повинно бути тріщин, лущення і механічних пошкоджень;
- кількість стрижневих коренів, яких має бути мінімум 3;
- наявність гнучких і пружних пагонів числом також не менше 3;
- прививочное місце, яке неодмінно має бути присутнім на саджанці.

Як вибрати і підготувати місце для посадки
Хоча всі грушеві сорти воліють хороше освітлення, Деканка дю Коміс в цьому плані особливо вимоглива. При дефіциті освітленості, плоди дрібнішають і втрачають інтенсивність свого знаменитого смаку. Густа крона дерева не терпить густоти насаджень.
Тому дерева не можна розташовувати ближче 4 метрів один від одного. Хоча даний сорт не виявляє особливих вимог до грунту, все ж, для підвищення врожайності не варто її садити в піщану або глинистий грунт. Набагато краще буде чорноземний грунт пухкої консистенції.
Але при цьому слід уникати місць, здатних спровокувати застій води в кореневій системі, або з близьким заляганням грунтових вод. Вибране місце для посадки слід підготувати до прийому саджанця. З цією метою викопується яма глибиною 80 см і таким же діаметром.
Потім викопана земля збагачується:
- 2 відрами компосту;
- 2 відрами річкового піску;
- 20 г фосфору;
- 30 г калію.

Особливості догляду
Описуваний грушевий сорт, крім гарної освітленості, вимагає також достатній вологості грунту.
Догляд за ґрунтом
У вегетаційний період необхідно ретельно звільняти грунт навколо дерева від бур'янів, поєднуючи прополку з розпушуванням грунту, що полегшує доступ кисню до кореневої системи.
Крім того, розпушування пристовбурового кола слід проводити після кожного поливу, щоб позбутися утворюється земляний кірки, що заважає проникненню кисню до коренів. Для збереження вологи в грунті корисно в пристовбурних кіл створювати мульчуючий шар з тирси, скошеної свіжої трави або сіна.
Підживлення і поливання
Якщо посадочна яма була підготовлена правильно, про що розповідалося раніше, внесених добрив саджанцю вистачить на 2 роки зростання і розвитку. Після закінчення цього терміну дерево необхідно підгодовувати мінімум тричі протягом вегетації.
Навесні, на етапі активного нарощування деревом зеленої маси, йому більше всього необхідний азот. Даним елементом добре насичені органічні добрива — коров'як, перегній або пташиний послід. 
Повторно, аналогічну суміш, застосовують напередодні цвітіння, використовуючи для цього обприскування листя і пристовбурового кола. Для розвитку зав'язі, а потім плодів, груші вже більшою мірою необхідні калій і фосфор.
Їх можна доставити дереву за допомогою добрив:
- «Здравень»;
- «Гера»;
- «Нов-Агро».
Через 2 тижні після знімання врожаю проводиться підготовка до отримання нового, що складається з ще однієї процедури підживлення. З цією метою, перекопують пристовбурні кола з одночасним внесенням в землю компосту, коров'яку і пташиного посліду. Крім того, у відро води для поливу додаються 25 г суперфосфату і 12 г сульфату калію. Корисний також настій деревної золи.

Не терплячи застою води в кореневій системі, описуваний грушевої сорт, тим не менш, дуже любить вологий грунт. Тому при поливі необхідно ретельно дотримуватися водний баланс. Ґрунт ні в якому разі не повинен пересихати. Найкраще поливати з допомогою лунок або канавок, выкапываемых в пристовбурних кіл. У посушливий період доводиться поливати грушу мінімум 2 рази на тиждень, використовуючи для цього до 80 л води під кожне дерево.
Обрізка
Перші 2 роки дерево особливо не турбують обрізанням, обмежуючись лише видаленням подсохших або пошкоджених гілок. В наступний період необхідно прибирати також відростки, напрямні свій ріст всередину крони. Слід також усувати прикореневу поросль.

Захист від холодів і підготовка до зими
Будучи рослиною, що володіє середньою зимостійкістю, для якого температура нижче -30°С — катастрофічна, Деканка дю Коміс в регіонах, де зимові холоди хоча й не досягають цієї критичної точки, але теж досить значні, потребує утеплення.
Для цього стовбур і верх основних гілок обмотуються мішковиною або нетканим покривним матеріалом, а пильний коло мульчується тирсою, стружкою, сіном або соняшниковою макухою.
Профілактика хвороб і шкідників
Як вже підкреслювалося вище, даний грушевий сорт володіє вродженим імунітетом до парші та деяких інших грибкових хвороб.
І все ж він не завжди, особливо при несприятливих умовах вирощування, здатний протистояти окремим захворювань і шкідників, серед яких:
- цитоспороз, попередити захворювання яких можливо за допомогою обприскування по весні до того, як листя розпустяться, 1-процентним розчином бордоської рідини;
![Цитоспороз на стовбурі груші Цитоспороз на стовбурі груші]()
- грушевий кліщ, профілактикою від нападу якого, служить колоїдна сірка, наноситься навесні допомогою обприскування на нерозпущеною ще гілки дерева;
![Грушевий кліщ на листках Грушевий кліщ на листках]()
- мідяниця, яку ефективно відлякують розчин ромашки або настій деревію;
![Мідяниці на груші Мідяниці на груші]()
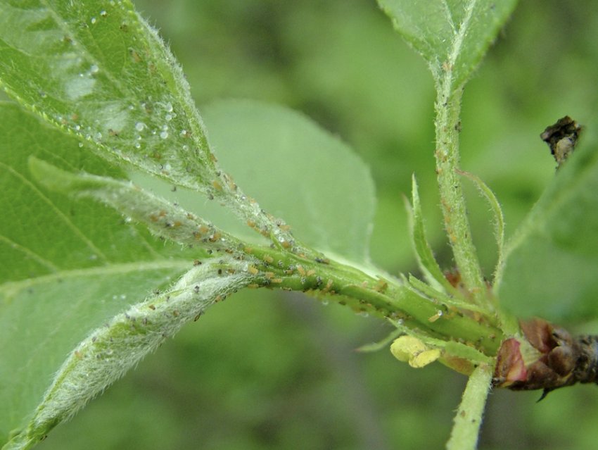
- зелена попелиця, від навали якої позбавляються за допомогою суміші мильного розчину з анабазином.
![Зелена тля на листках груші Зелена тля на листках груші]()
Стародавній грушевий сорт, чий смак за багато десятиліть так і не змогли перевершити понад 3 тис. існуючих нині сортів груш, займає свою законну нішу серед делікатесних фруктів. Деякі складності, які виникають при вирощуванні Деканки дю Коміс, повністю окупаються її неабиякими гастрономічними якостями.










