Їстівні види жимолості нерідко можна зустріти в садах дачних та присадибних ділянок. Вирощувати цю рослину нескладно, а плоди можна вживати свіжими, готувати з них різні напої, варення. Опису та особливостей культивування сорти жимолості Бореал Близзард присвячений цей матеріал.
Історія селекції
З 1998 року їстівні сорти жимолості привернули увагу канадських селекціонерів з Саскатунского університету в провінції Саскачеван. Вони стали експериментувати з селекцією російських і японських сортів. У результаті були відібрані ті, які були придатні для вирощування в кліматичних умовах Канади. Підійшли лише російські форми.

З ними з 1999 року почав працювати доктор Боб Борі. Спочатку у нього виходили лише чагарники з мелкоплодными плодами. Але завдяки наполегливій роботі і об'єднання російських, курильських і японських сортів вченому вдалося виростити великоплідну жимолость.
У 2016 році Боб Борі вивів сорт Бореал Близзард, назва якого перекладається як «Північний буран». В його геномі — 50% генів від російських сортів і 50% генів від японських форм.
Ботанічний опис
У жимолості цього сорту формуються середні по висоті кущі — до 1,5 м, з розкидистою кроною у формі кулі і міцними пряморастущими пагонами. Ягоди великі за розміром — до 3,5 см в довжину і 1 см в поперечнику. Досягають маси 3 р. Мають овальну форму. Шкірка темно-синя. М'якоть характеризується соковитістю, мясистостью, солодким смаком.

Характеристика
При вирощуванні жимолості їстівної важливо враховувати її характерні особливості, а також бути обізнаним про її достоїнства і недоліки.
Морозостійкість і посухостійкість
Жимолостные кущі добре переносять морози, аж до -40°С. Квітки можуть витримувати заморозки до -8°С. Що стосується посух, то жимолость вологолюбна, тривалі посушливі періоди переносить не надто добре.
Плодоношення врожайність
Плоди дозрівають в пізні терміни — з кінця липня до початку вересня. Після повного дозрівання ягоди не осипаються на землю, а продовжують висіти на пагонах. Продуктивність у сорту висока. Оскільки сорт з'явився на ринку не так давно, точної інформації про кількість ягід з одного куща ще немає.
Відео: Жимолость Бореал

Переваги і недоліки
- Серед достоїнств сорти Бореал Близзард виділяють:
- розтягнутий у часі період плодоношення;
- великі плоди;
- високі смакові якості ягід;
- несхильність до осипання плодів;
- високий рівень морозостійкості;
- транспортабельність ягід вище середнього;
- опірність борошнистої роси.
Недоліків у сорту поки не виявлено.
Запилювачі
Описуваний сорт не є самоплідних. Для того щоб отримати максимально можливий врожай, необхідно у радіусі 20-30 м висаджувати 2-3 сорти здатні запилити рослини. Враховуючи пізні терміни цвітіння, придатними запилювачами для Бореал Близзард є Північна красуня, Північне чудовисько.

Особливості посадки
Щоб жимолость була здоровою, добре росла і успішно плодоносила протягом 30 років, необхідно правильно підібрати місце для посадки, придбати здорові саджанці, дотримати рекомендовані строки та технологію.
Терміни
Посадку жимолості можна здійснювати в 2 терміни — навесні, з середини квітня по травень, і восени, протягом вересня і жовтня.
Вибір місця, підготовка лунок
Жимолость добре зростає на освітлених ділянках, укритих від північних вітрів. Непогано себе почуває в легкій півтіні. Найчастіше цю культуру вирощують біля огорожі. Так як рослина не переносить підтоплень і заболочених ґрунтів, перед посадкою слід дізнатися про рівень залягання грунтових вод.
Допускається, щоб вони підступали до поверхні землі не ближче ніж на 1,5 м. Якщо спостерігається невелике підтоплення ділянки, то потрібна організація хорошого дренажу і дренажних траншей. Кращими грунтами для вирощування жимолості є пухкі, дреновані, удобрені суглинки або супіски, що мають слабокислу або нейтральну реакцію pH.

Відбір і підготовка посадкового матеріалу
Саджанці потрібно купувати в спеціалізованих магазинах або в розплідниках. Як правило, для посадки використовуються однорічні екземпляри. Також підходять вкорінені живці. Необхідно вибирати саджанці висотою не більше 1,5 м, з добре розвиненою кореневою системою, здорової кореневою шийкою, на якій відсутні нарости, плями, пошкодження.
Перед висадкою необхідно оглянути коріння і обрізати їх, у разі якщо вони занадто довгі або пошкоджені. За кілька годин до приміщення в грунт їх можна замочити у відрі з водою. Обов'язково це треба зробити, якщо коренева система пересушена. 
Схема посадки
Якщо посадка проводиться навесні, то ділянка бажано готувати з осені. Підготовка полягає в збиранні рослинних залишків і глибокої перекопуванні. Ці заходи необхідні, щоб не дати можливості збудників хвороб та шкідників перезимувати в грунті і вразити рослини навесні.
Посадкові лунки готуються за 1,5–2 тижні до посадки. Їх викопують розміром 40×40×40 див. Розміщують на відстані 1,5–2 м один від одного. Ширина міжрядь повинна становити 2-3 м. Викопаний з лунки грунт необхідно змішати з добривами: перегноєм або розкладатися гноєм (10-12 кг), подвійним суперфосфатом (100 г), сульфатом калію (30 г), деревною золою (300 г).
В ході посадки потрібно всипати підготовлений грунт у лунку, заповнивши її на дві третини. По центру слід насипати невеликий горбок, на який встановити саджанець, розташовуючи кореневу шийку на 5 см нижче закінчення ями.

Далі необхідно розправити кореневу систему, рівномірно розподіляючи її по пагорбу, засипати яму залишилися грунтом, утрамбувати і полити, використовуючи відро води. Наприкінці слід замульчувати стовбурову зону шаром землі, торфу або перегною.
Правила догляду
Догляд за жимолостю передбачає проведення стандартних процедур: поливи, підживлення, розпушування, прополок, мульчирований, обрізок, профілактичних обробок проти хвороб і шкідливих комах. Поливів потрібно 3-4 за сезон. Витрата рідини під кожен кущ — 10 л. Під час плодоношення зволоження варто припинити.
Поливи необхідно поєднувати з рыхлениями. Вони повинні бути неглибокими, оскільки коренева система у жимолості поверхнева. Якщо регулярно розпушувати грунт у пристовбурних кіл, то можна уникнути появи твердої кірки, яка перешкоджає вільному проникненню вологи і кисню до коренів.
Регулярними повинні бути і прополки. Бур'янисті трави підвищують ризик зараження хворобами і шкідниками, оскільки є їх носіями. Також вони перешкоджають нормальному розвитку кущів, відбираючи у них світло, вологу та поживні елементи.

Підживлення слід вносити під кущі у віці 3-4 років. Краще, якщо це буде «органіка». У весняний період — перегній або перепрілий гній (1 відро/1 кущ), в осінній — деревна зола (150 г/кущ).
Також добре проводити ранньовесняну підгодівлю азотовмісних добрив, наприклад, сечовиною (1 ст. л./10 л води). Рекомендовані та позакореневе підживлення «Растворином», «Майстер», «Акварином» (20 г/10 л води). Їх вносять перед тим, як з'являться квіти.
До регулярних обрезкам приступають, коли рослини досягнуть віку 6-8 років. Навесні необхідно видаляти всі хворі, пошкоджені, викривлені, сухі гілки. Восени вирізають пагони, які вже не плодоносять або приносять плоди у малій кількості.
Коли кущах виповниться 15-20 років, їх необхідно омолодити — вирізати повністю, залишаючи 50 см від землі. Відновлення чагарнику після повної стрижки відбувається протягом 2-3 років.

Для проведення обрізки обов'язково використовують гострий, попередньо продезінфікований, садовий інструмент. Щоб запобігти розвитку хвороб і появи шкідливих комах, місця зрізів потрібно обробити антисептиком, наприклад, мідним купоросом, і змастити садовим варом або препаратом «РанНет».
Збирання врожаю і його зберігання
Ягоди жимолості зріють на протязі 1,5–2 місяців, тому збір урожаю потрібно буде здійснювати в декілька заходів. До збирання приступають, коли плоди доростуть до заявленого в описі розміру і ваги, стануть синіми і солодкими.
Обривають ягоди руками. Плодоніжки не залишають. Після зривання їх дбайливо укладають в невелику за обсягом тару. Для якнайшвидшого збору можна використовувати метод струшивания з куща.Однак ягоди, зібрані таким чином, не придатні до зберігання і транспортування. Їх відразу ж потрібно пустити на переробку.
Зберігається жимолость недовго — в холодних умовах до 5 діб. Якщо хочеться вживати корисні ягоди взимку і навесні, то їх можна заморозити або засушити.
В замороженому вигляді плоди придатні до вживання протягом року, в засушеному — протягом двох. Після розморожування ягоди не втрачають своєї форми і смаку. Перевезення жимолость Бореал Близзард переносить середньо. Якщо планується транспортування на недалекі відстані, то після збору продукт необхідно охолодити.
Підготовка до зими
Після того як була проведена обрізка жимолостевих кущів, їх треба підготувати до зимівлі. В цей час в грунт під перекопування вносять калійні і фосфорні добрива. В укритті жимолость не потребує.

Способи розмноження
Розмножувати жимолость можна чотирма способами:
- насінням;
- відведеннями;
- живцями (зеленими, одревесневевшими);
- діленням куща.
Насіннєвий спосіб — дуже клопіткий і економічно невигідний. Тому в домашніх умовах його не практикують. Садівники вдаються до вегетативного розмноження.
Щоб розмножити кущ відводками, необхідно здійснити наступні кроки:
- На початку літа провести перекопування і «підведення» грунту в приствольной зоні.
- Сильні однорічні пагони, розташовані на нижньому ярусі, пришпилити дротом до грунту і присипати 3-5-сантиметровим шаром землі.
- Після вкорінення, навесні, відокремити відводки секатором від материнської рослини.
- Висадити на постійне місце.

Зелені живці нарізають з міцних пагонів, що з'явилися в цьому році, в середині травня, після того, як кущі відцвіли. Для процедури вибирають похмурий день. Оптимальна довжина живців — 7-12 див. На них має бути по 2-3 бруньки. Їх необхідно укоренити.
Спочатку обрізають нижні листки, потім на добу живці поміщають у воду або «Корневін», після чого висаджуються в череночник, ящик з землею або в землю під скляні банки або пластикові пляшки.

Ще один варіант розмноження жимолості — одревесневелыми живцями, заготовленими з вересня по початок жовтня. Їх нарізають з міцних пагонів цього року, залишаючи по 2-5 міжвузля, а потім поміщають на зберігання в прохолодне місце, загортаючи у вологу мішковину і пересипаючи піском.


Відео: як черенковать жимолость

Хвороби і шкідники
Якщо дотримуватися правил агротехніки, то зіткнутися з хворобами чи шкідниками на ділянці, де росте жимолость, навряд чи доведеться. Проблеми виникають при помилках у догляді, неправильно підібраному місці, посадці в невдалу грунт, несприятливих погодних умов, відсутності або неправильно проведених підгодівлі.
Найбільшу небезпеку для жимолості являє борошниста роса, але сорт Бореал Близзард добре чинить опір їй. Тому профілактичні обробки від цієї хвороби не потрібні.
З шкідників величезної шкоди ягідної культури можуть завдати:
- Листовійка. Як зрозуміло з назви, визначити її присутність на кущах можна за загорнутим листю. Для профілактики появи проводять ранньовесняні обробки «Биотлином», «Битоксибациллином», «Актара», «Фуфаноном».
![Листовійка на жимолості Листовійка на жимолості]()
- Жимолостная пальцекрылка. Гусінь цього метелика пошкоджують плоди, в результаті чого вони темніють, зморщуються і опадають з гілок. Допомагають боротися з пальцекрылкой препарати «Хлорофос», «Інта-Вир», настої з картопляної або томатної бадилля.
![Гусениця пальцекрылки Гусениця пальцекрылки]()
- Попелиця. Виявити комахи можна під листям. Воно поселяється масовими колоніями і висмоктує з рослини поживні соки, приводячи до його ослаблення і загибелі. На присутність попелиці можуть вказувати такі зміни у зовнішньому вигляді жимолості як збліднення листя, формування на них маленьких плям жовтого і коричневого кольору. Якщо попелиці ще трохи, то можна спробувати вигнати її з ділянки за допомогою обприскувань содовим і мильним розчинами, настоями ромашки, календули, деревної золи. Масове ураження вимагає підключення хімічних засобів — «Ентобактеріну», «Биотлина», «Фитоверма», «Конфидора», «Актеллика», «Інта-Віра».
![Ознака поразки жимолості попелиць Ознака поразки жимолості попелиць]()
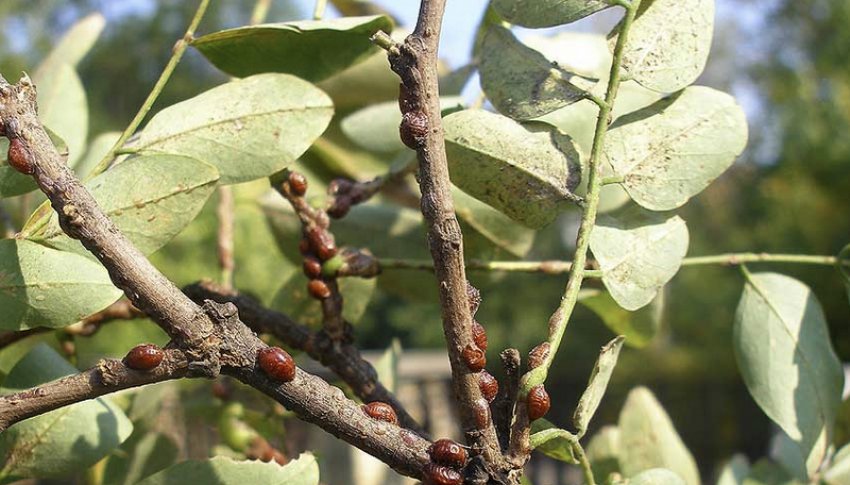
- Щитівка. Це сисна комаха можна виявити на стовбурах і пагонах. Його шкідлива діяльність призводить до пожовтіння, усихання і обпадання листя, формування на ягодах плям жовтого та бурого кольору. При незначному ураженні щитівок прибирають вручну з допомогою щіток, скребків і обробляють пагони, стовбури спиртово-мильним розчином (20 мл денатурованого спирту, 30 мл рідкого мила, 2 л теплої води). Сильне зараження вимагає застосування «хімії» — препаратів «Адмірал», «Актара», «Актеллік».
![Щитівки на жимолості Щитівки на жимолості]()
- Жимолостный кліщ. Ще одне небезпечне сисна комаха. Воно дуже дрібне, тому виявити його досить складно. Запідозрити, що на кущах жимолості оселився кліщ, можна за скрученим, засохлим листям. Боротьбу з комахою ведуть обробками «Актеллік», «Омайтом», «Конфидором».
![Ознака поразки жимолостным кліщем Ознака поразки жимолостным кліщем]()
Отже, завдяки ряду позитивних характеристик сорт Бореал Близзард може вирощуватися не тільки з метою особистого вживання, він також представляє інтерес для комерційного використання.













