Хоча сорт груші Мармурова вимагає деяких додаткових зусиль щодо створення йому оптимальних умов зростання, його висока врожайність та чудові гастрономічні якості повністю виправдовують прикладені до вирощування плодів старання. Докладніше про цьому сорті читайте далі у статті.
Опис і характеристики сорту
Цей сорт груш вивели досить давно — в 1947 р. у Воронезькій області, але тільки в 1965 р. його внесли до Держреєстру. З тих пір Мармурова набула дуже велику популярність в регіонах з помірно морозними зимами далеко за межами Росії.
Зовні ця груша виглядає як порівняно невисоке дерево з негустою пірамідальною кроною, покритої середньої величини листям радикально зеленого забарвлення. Плодоносить на кільчатках, які розташовуються на гілках у віці від двох до чотирьох років. 
В період цвітіння, який настає рано, на дереві розвиваються білі квітки, і з кожних 8 примірників утворюються суцвіття. Пора дозрівання стартує у другій декаді серпня і розтягується до першої декади вересня.
Плоди сорту характеризуються високим вмістом нутрієнтів і чудовими смаковими кондиціями, які оцінюються дегустаторами відміткою 4,8 бала з 5 можливих.
Соковитий м'якуш зернистий кремовою забарвлення, насичене ароматом і неабияким смаком, цілком заслуговує на цих високих оцінок. Маса кожного плоду, пофарбованого в зелено-золотистого кольору з рум'янцем в мармурових розлученнях на боці, в основному варіюється від 130 до 170 м, але іноді досягає і 220 р.
Основні переваги та недоліки
- Крім вищеописаних переваг, цей сорт груш може похвалитися також:
- вродженим імунітетом, дозволяє рослині успішно протистояти парші, плодової гнилі та борошнистої роси;
- гарним товарним виглядом плодів;
- наявністю на них міцної шкірки, підвищує їх транспортабельність;
- високою і стабільною врожайністю;
- скоростиглістю.
- До недоліків сорту відносять:
- пізніше початок періоду плодоношення, який настає не раніше 6-го року життя;
- недостатню морозостійкість;
- боязнь зворотних травневих заморозків;
- слабку посухостійкість.
Запилювачі
Хоча у Мармуровій наявна самоплідність, тим не менш для отримання високого врожаю дереву потрібні сторонні запилювачі. Однак у зв'язку з тим, що це дерево вступає в пору цвітіння раніше багатьох інших сортів груш, в якості запилювачів можуть виступати далеко не всі з них.

Найбільш добре для цієї мети підходять такі сорти:
- Кафедральная;
- Лада;
- Северянка;
- Татьяна;
- Чижовская.
Врожайність груші Мармурова
Одне доросле грушеве дерево зазначеного сорту здатне дати до 200 кг плодів. У середньому з гектара збирають 220 ц, а максимальний урожай досягає 420 ц/га.
Особливості посадки і догляду
Посадочні заходи по відношенню до Мармурової мало відрізняються від посадки інших грушевих дерев, а ось подальший догляд за рослиною вимагає деяких додаткових зусиль.
Вибір якісного саджанця
Від того, наскільки вдало вибрано саджанець груші, залежать подальші кондиції фруктового дерева.

При виборі такого саджанця слід виходити з:
- віку саджанців, що не перевищує 2 років;
- повноцінної кореневої системи, яка має мінімум 3 відростками, чия довжина становить не менше 25 см;
- кількості бічних відгалужень, яких у дворічного саджанця має бути мінімум 3;
- відсутності на кореневих відростках і поверхні кори тріщин, механічних пошкоджень, слідів наявних захворювань.
Вибір відповідного місця для висадки
Для светолюбивой груші місце зростання повинно бути вибрано з максимальним освітленням. Крім того, на цей сорт вкрай негативно впливають сильні вітри, від яких дерево необхідно захистити.
Не слід також садити описуваний сорт на ділянці з високим заляганням ґрунтових вод. У разі коли на місці посадки груші можливий застій води, цю небезпеку необхідно неодмінно ліквідувати за допомогою дренажних заходів.
Схема посадки
Розглянуті грушеві дерева воліють родючий суглинистий грунт пухкої фракції. У випадку якщо він піщаний або глинистий, його обов'язково слід збагатити органічними добривами.

Висаджування саджанців Мармурової у землю може здійснюватися і в весняний, і осінній періоди. По весні оптимальним строком садіння є початок травня, коли остаточно мине небезпека повернення заморозків. А восени найкраще висаджувати грушу на початку жовтня, що дозволяє їй набратися сил до настання холодів.
Коли до моменту посадки залишається пара тижнів, грунт у майбутній посадковій ямі необхідно підготувати, а потім 2 тижні здійснити саму посадку, для чого:

- Викопують яму діаметром до 60 см і глибиною 80 див. При цьому слід враховувати, що подальші ями для саджанців груші повинні перебувати один від одного не ближче ніж на відстані 4 м.
- Грунт з ями слід вибирати пошарово, маючи на увазі, що зверху грунт набагато родючіші, ніж внизу.
- Верхній шар вийнятої грунту змішують з 9 кг перегною, 40 г сульфату калію, 200 г суперфосфату і 150 г деревної золи.
- вистилають Дно ями шкаралупу волоських горіхів або невеликими бляшаними банками, а зверху насипають 2/3 підготовленого грунту.
- У центрі ями вертикально укріплюють дерев'яну опору заввишки мінімум 130 див.
- Коріння саджанця перед посадкою опускають у глиняну бовтанку, а з дерева видаляють 80% листя.
- Саджанець опускається в яму з таким розрахунком, щоб його коріння дивилися вниз, а не в сторони, а коренева шийка була від поверхні землі мінімум на 5 див.
- Після посадки грунт утрамбовують, в ньому викопують поливальну лунку.
- Потім саджанець рясно поливають, а його пристовбурне коло піддають мульчування допомогою скошеної трави, тирси або сіна.
Полив і добриво
Описуваний сорт груш не терпить посухи: дефіцит вологи здатний значно зменшити урожай. Полив, здійснюваний за допомогою поливальних лунок або канавок, повинен бути регулярним, в процесі якого кожен раз потрібно виливати мінімум 3 відра води. У бездождевой літній період кількість вилитих кожен раз відер може зрости до 5.

Крім регулярного інтенсивного поливання цей сорт потребує також активної підгодівлі добривами. На початку вегетаційного періоду, коли відбувається набір зеленої маси, дерево особливо має потребу в азоті, якого багато в органічних добривах — розчинах коров'яку, гною або пташиного посліду.
Також корисно полив сполучати з внесенням сечовини, 100 г якій розводять у половині відра води. Під час цвітіння і формування плодів груші потрібні переважно калій і фосфор, які у вигляді суперфосфату і сульфату калію допомогою розчинів вносяться в грунт перед поливом.
Для стимуляції зав'язування плодів через декаду після цвітіння грушу корисно обприскати 1%-м розчином сечовини, повторивши цю операцію через пару тижнів. А коли цьогорічний врожай уже зібрано, слід подбати і про майбутнє, для чого прикореневу площа перекопують з внесенням 5 кг компосту, 2 кг коров'яку і 1 кг пташиного посліду.
Обрізування і формування крони
Якщо обрізка здійснюється навесні, то її проводять до того, як почнеться сокорух у дереві, а якщо восени, то це робиться після збору врожаю. Протягом перших 2 років вирощування груші необхідно видаляти тільки пошкоджені і висохлі гілки.
Третій рік присвячується початку формування крони дерева, для чого залишають тільки 3 найбільш потужні гілки, а інші вкорочують на 1/3 своєї довжини. На четвертий рік головна гілка робиться коротше на 8 нирок, а решта знову ж коротшають на 1/3.
Обрізку, в тому числі і санітарну, необхідно проводити гострим секатором з обробкою зрізів за допомогою садового вару.

Обробка рослин на зиму
Оскільки сорт груш Мармурова не відрізняється стійкістю до низьких температур, до зими його доводиться готувати ретельно.
З цією метою необхідно:
- щедро полити дерево, витративши для цього до 100 л води;
- замульчувати пристовбурні кола за допомогою тирси або сіна;
- стовбур і великі гілки укутати нетканим матеріалом або мішковиною;
- після випадання снігу насипати в пристовбурних кіл замет;
- не забувати при цьому, що описуваний сорт груші боїться не тільки сильних холодів, але і весняних заморозків.
Ознайомтеся також з іншими сортами груш, а саме:
Труднощі, які можуть виникнути при вирощуванні
Як вже зазначалося, хороший імунітет дозволяє дереву успішно протистояти парші, борошнистої роси і плодової гнилі. І все ж з деякими хворобами і шкідниками Мармурова впоратися самостійно не здатна.
В особливості це стосується наступних проблем:
- грушевий кліщ, высасывающий живильні соки з листя. Для боротьби з ним по весні до набрякання бруньок використовується обприскування колоїдної сіркою;
![Симптоми грушевого кліща Симптоми грушевого кліща]()
- чорний рак, який характеризується виникненням темних плям на корі. Плями необхідно негайно зрізати, захоплюючи для профілактики по парі сантиметрів здорових ділянок кори і знешкоджуючи зрізане місце 2%-м залізним купоросом;
![Чорний рак на стовбурі груші Чорний рак на стовбурі груші]()
- мідяниця, для попередження нападу якої дерево необхідно обприскати ромашковим настоєм або відваром деревію;
![Симптоми грушевої мідяниці Симптоми грушевої мідяниці]()
- іржа листя, сигналізує про появу плямами оранжевого кольору на листових поверхнях. Після цвітіння груші листя обприскують 1%-ою бордоською рідиною, а коли листя опаде — 5%-м розчином карбаміду;
![Іржа на листках груші Іржа на листках груші]()
- плодожерка, для боротьби з якою необхідно видалити з землі під деревом всю падалицю, а листя на дереві в період льоту метеликів обприскувати водою;
![Грушева плодожерка Грушева плодожерка]()
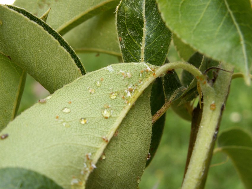
- зелена попелиця, для позбавлення від якої потрібно обробити грушу мильним розчином з додаванням анабазіна;
![Зелена тля на листку груші Зелена тля на листку груші]()
- цитоспороз, який характеризується всиханням кори. Для боротьби використовується обприскування весною перед розпусканням листків 1%-ю бордоською рідиною;
![Цитоспороз на гілках груші Цитоспороз на гілках груші]()
- сонячний опік кори, для попередження якого стовбур дерева необхідно білити гашеним вапном або крейдою.
![Сонячний опік на корі груші Сонячний опік на корі груші]()
Збір і зберігання врожаю
Пора плодоношення описуваного сорти стартує у другій декаді серпня і триває до першої декади вересня, іноді розтягуючись і до початку жовтня, коли плоди досягають повної стиглості. Фахівці рекомендують збирати груші в теплий і сухий день, зриваючи їх з дерева разом з плодоніжкою.
Зберігають груші в ящиках або плетених кошиках, перемежовуючи їх тирсою або рваною папером, у сухому і темному приміщенні при температурі 0...+3°С. Плоди у цих умовах зберігають свої кондиції протягом 60-70 діб.
Сорт груш Мармурова, маючи солідний стаж культивування в різних регіонах та навіть країнах, аж ніяк не втратив своїх позицій під натиском багатьох сучасних різновидів. Неабиякі смакові якості сорту укупі з високою врожайністю дозволяють Мармурової займати і сьогодні почесне місце як в фермерських садах, так і на дачних і присадибних ділянках.




















