Грушеві дерева вирощуються на невеликих присадибних територіях біля будинків та на великих фермерських садах. Ця плодова культура дуже популярна завдяки плодам з відмінним смаком. У даній статті ми розглянемо грушевий сорт Серпнева роса, дізнаємося, як придбати повноцінний здоровий саджанець, правильно висадити його в грунт і забезпечити догляд.
Опис та характеристика сорту
Грушеве дерево сорту Серпнева роса було отримано в 2002 році завдяки роботі російських селекціонерів НДІ ім. Мічуріна. Висота і ширина крони у груші не дуже об'ємні, рослина швидше відноситься до карликових дерев. Висота стовбура груші досягає трьох метрів, гілки крони пониклі, не надто загущені. Крона у сорту розлога, гілки розташовані по відношенню до стовбура під прямим кутом. Після посадки дерево швидко росте і починає повноцінно плодоносити вже на 3-4-й рік вирощування.
Плоди груші ростуть на коротких списах і кільчатках, у листя середні розміри і овальна форма. По краю зеленої листової пластини йдуть невеликі зубці. Рослина цвіте дрібними білими, добре пахнуть квітами, зібраними у суцвіття, що складаються з 5-9 квітів. Плоди цього сорту невеликі, максимальна маса -150 м, мінімальна — 100 г. Чим більше плодів на дереві, тим менше їх вагу. Плоди мають класичну грушоподібної форми з короткою шийкою, шкірка тверда і гладка.

Даний сорт не надто добре зберігається в підвалах з низькою плюсовою температурою фрукти можуть зберігати свою придатність протягом 14-20 днів. Набагато краще фрукти зберігаються в промислових холодильниках, у них груші зберігають смакові якості протягом 90 днів. Цю грушу потрібно вирощувати поряд з деревом-запилювачем, так як у неї низький рівень самоопыляемости. В якості запилювачів рекомендується саджати неподалік грушу сорту Пам'яті Яковлєва.
З дорослого дерева можна зняти урожай в 40-50 кг товарних, рівномірних плодів. На випробувальному терміні сорт показав гарну морозостійкість. Серпнева роса має відносну стійкість до деяких захворювань культури, наприклад, до парші. Вагомою перевагою даного сорту груш є невибагливість до догляду і умов вирощування.

Особливості посадки груші
Якщо садівник бажає у себе на ділянці висадити дерево, яке протягом багатьох років буде відмінно плодоносити, йому слід звернути увагу на деякі нюанси при придбанні саджанця. Здоровий посадковий матеріал швидко приживеться і рушить в зростання, а це значить, що першого врожаю довго чекати не доведеться. Також дуже важливо дотримуватись правильної процедури посадки саджанця, її недотримання може призвести до неправильного формування кореневої системи, що призведе до зниження врожайності плодового дерева.
Вибір і зберігання саджанця
Щоб не розчаруватися, садівникові потрібно ретельно вибирати посадковий матеріал при покупці. Існує кілька важливих параметрів, на які потрібно звернути увагу під час придбання саджанця.

Коріння:
- Коренева система повинна мати пружну і соковиту м'якоть, не ламатися при скручуванні окремих коренів, а на розрізі всередині кореня повинна бути видна біла або червона деревина. Всі інші кольори вказують на те, що з кореневою системою щось не так.
- Вкрай важливо не дозволяти коріння висохнути. Для цього відразу ж після покупки бажано занурити коріння в глиняну бовтанку або воду, а далі укутати їх у вологу тканину. Упаковану таким способом кореневу систему поміщають в поліетиленовий пакет, після чого в прохолодному приміщенні або на вулиці (поза доступу сонячних променів) можна зберігати саджанці протягом місяця. Температура під час зберігання не повинна підніматися вище +10°C.
- Якщо під час продажу коріння саджанця сильно пересохли на сонці і вітрі — бажано встановити його корінням в ємність з водою на два-три дні. Так можна відновити саджанець. У будь-якому випадку навіть саджанці, які перебувають в гарному стані, перед посадкою повинні бути поміщені у воду як мінімум на один день.
- У здорової саджанця повинна бути добре розгалужена коренева система, що складається з декількох товстих коренів і безлічі дрібних, мочковатих. Коріння не повинні бути коротшими 20 сантиметрів, тому що посадковий матеріал з недорозвиненими корінням буде відставати в рості і розвитку від інших дерев, його плодоносіння почнеться набагато пізніше. Краще придбати занадто тонкий саджанець, але має довгі розгалужені корені, ніж саджанець з товстим стовбуром, але має поганий кореневою системою.
Стовбур:
- Це трохи менш важливий параметр для посадкового матеріалу, ніж коренева система, але і його варто враховувати. Оптимально, якщо діаметр стовбура саджанця буде не менше 3 см і не більше 5 див.
- Бажано, щоб на ній не було листя. У разі, якщо вони все-таки присутні, їх необхідно акуратно видалити з допомогою секатора перед садінням. Видаляються листя так, щоб не зачепити плодових бруньок на гілках.

Підготовка посадкової ями
При посадці саджанця можна вирити круглу або квадратну посадкову яму з вертикальними стінками. Конусовидна посадкова яма, має стінки, звужуються всередину, не підходить для нормального розвитку кореневої системи плодових дерев. Діаметр посадкової ями для саджанці груші повинен становити від 100 до 125 сантиметрів і мати глибину 50-60 сантиметрів. На дні готової посадкової ями (по центру) насипають невеликий пагорб висотою 20-25 см, який послужить основою під коріння саджанця.
У посадкову яму не закладають добрива під час висадки саджанця, ця процедура проводиться набагато раніше. Якщо грунт не була заправлена добривами заздалегідь, нічого страшного, коли саджанець рушить в зростання, його можна буде підживлювати під корінь. Добриво грунту в посадковій ямі одночасно з садінням може стати причиною опіків кореневої системи і, як наслідок, загибелі груші.

Покрокова інструкція посадки груші
Правильно посадити дерево дуже важливо, так як посадка впливає на подальший розвиток рослини і його майбутню врожайність. Іноді при посадці дерева потрібно провести обрізання коренів. Така процедура необхідна тільки в тому випадку, якщо є зламані, розщеплені або мертві коріння. При посадці молодого дерева садівникові бажано звернутися за допомогою до іншої людини.
Правильна посадка груші:
- Саджанець встановлюють рівно по центру ґрунтового пагорба, що знаходиться на дні посадкової ями і акуратно, рівномірно, розправляють його корені.
- Поруч, на відстані 30 см, встановлюють міцний і високий кілок, який протягом наступних кількох років буде служити молодому дереву опорою.
- Помічник однією рукою утримує дерево вертикально, тримаючи його за верхівку, а другою рукою притримує опорний кілочок. Садівник засинає посадкову яму грунтом, в процесі засипки помічник періодично злегка струшує саджанець. Це робиться для того, щоб грунт рівномірно осіла на коренях дерева. Після посадки дерева грунт в прикореневій зоні поруч зі стволом повинна бути ущільнена. Це можна зробити, просто притоптав грунт. Потрібно простежити за тим, щоб при посадці місце щеплення на саджанці не було заглиблено в грунт.
- В прикореневій зоні груші створюють невелике поглиблення в грунті у формі миски. Це робиться, щоб надалі саджанець було легше поливати або удобрювати, а подається під корінь вода або добриво не розтікалися.
- Відразу після посадки грушу поливають, використовуючи не менше 10-15 л води на кожне деревце. Коли вода вбереться в грунт, саджанець додатково вирівнюють вертикально (при необхідності) і пов'язують з опорним кілочком. Для підв'язки використовують м'який матеріал, міцну тканину або шкіру.
- протягом першого місяця після посадки поливають молоді саджанці щотижня, на другий місяць частоту поливу зменшують до одного разу в 2 тижні.

Правила догляду
Хороший урожай плодів з груші буде отримано садівником тільки в тому випадку, якщо догляду за деревом буде приділено достатньо уваги. Рослину потрібно вчасно полити, підгодувати, обрізати, захистити від притаманних культурі захворювань і шкодять комах.
Полив
Грунт під грушевими деревами зволожують, використовуючи прямий полив під корінь. Поливають доросле дерево все літо, з інтервалом в 30 днів між поливами. При кожному поливі в прикореневу зону рослини виливають не менше 10-15 л води. В період інтенсивної посухи, за відсутності опадів, рекомендується участити поливи і зволожувати ґрунт під деревом (з тим же витратою води) через кожні два тижні.
Підгодівлі
Добрива в посадкову яму закладаються як мінімум за місяць до передбачуваної дати висадки саджанця. Найбільш оптимальним буде добриво посадкової ями за півроку, наприклад з осені для посадки на весну. При цьому в посадкову яму закладають добре перепрілий гній великої рогатої худоби (5-6 кг) і мінеральні добрива (по 100 г суперфосфату і калію). Добрива добре змішують з грунтом і залишають до часу посадки.

Грушу підживлення сечовиною (50 г речовини на відро холодної води) тричі протягом літнього сезону:
- перша підгодівля — після набрякання бруньок;
- друга підживлення через 14-20 днів після першої;
- третя підгодівля — з таким же тимчасовим проміжком після другої.
Обрізка
Дерева обрізають для того, щоб отримати бажану форму крони, а також зручну для садівника висоту рослини. Під час обрізки крону дерева очищають від старих і хворих гілок і проводять проріджування, даючи рослині доступ до повітря й сонця. Для зручності робіт з обрізування крони садівники зазвичай користуються драбиною або сходами. Після обрізання старих товстих гілок місце пошкодження потрібно замазати садовим варом або обробити густого глиняного бовтанку з додаванням кінського гною.

Регулююча обрізка
Цей вид обрізки груші проводиться на початку весни, зазвичай у березні. В цей час вже не доводиться чекати високих мінусових температур, але рух соків у деревині поки не відбувається. Якщо проводити обрізку пізніше, дерева закінчаться соком у місцях пошкоджень, що значно послабить їх імунітет. У зимовий час обрізку деревної крони садівники намагаються не проводити, щоб не пошкодити деревах.
У виняткових випадках взимку обрізають мертві або обламані гілки, або ж буває необхідно зрізати гілки, щоб запобігти розщеплення деревини під вагою снігу.
Підтримуюча обрізка
Таку обрізку проводять на дорослих деревах і тільки для підтримки заданої форми крони. Якщо не проводити підтримуючу обрізку, дерева заростуть щорічним приростом і молодими пагонами.

Санітарна обрізка
Лікувальний вид обрізки проводиться на груші, де є всохлі або хворі гілки. Санітарну обрізку зазвичай роблять в осінні місяці. Весь зрізана з дерева, матеріал бажано винести за межі ділянки або спалити. Ці заходи потрібні для того, щоб у разі бактеріального раку або інших вірусних захворювань, наявних на зрізаних гілках, інфекція не поширилася на здорові дерева.

Хвороби і шкідники
Груші, як і інші плодові культури, схильні до хвороб і нападів комах. З грибковими захворюваннями на груші можна боротися, використовуючи препарати, що містять фунгіциди, а в боротьбі з шкодять комахами допоможуть інсектициди або настої і відвари за народними рецептами (настій деревію або тютюні, водний розчин деревної золи). Якщо на груші виникає вірусна інфекція, таке захворювання, на жаль, вилікувати не можна. Для обробки саду застосовують ранцеві обприскувачі з насадкою для дрібнодисперсного розпилення.
Щоб знищити комах в самому початку міграції, як тільки вони з'являються на стеблах, грушеві дерева можна обробити інсектицидами, такими як «Малатіон», «Метафос», «Тиофос» або «Фосфамід», «Актеллік», «Фуфаноном», «Інта-Вир», «Кемифос». Щоб не допустити загибелі бджіл під час обробки дерев, обробка проводиться не пізніше, ніж за декаду до цвітіння груші.
Поширені шкідники грушевих дерев:
- грушевий Кліщ (Eriophyes pyri Pgst). Це дрібні комахи, що живляться соком з клітин грушевих листя. Мешкають в тканинах листової пластини. На їх присутність вказують роздуті буро-зелені горбки на листовій пластинці. Через деякий час фарбування здуття змінюється і стає чорною, після чого тканини аркуша висихають. Дорослі шкідники на зиму влаштовуються в грушевих нирках, після появи молодих листя галлові кліщі заселяють їх тканини, в яких знаходять притулок і їжу на все літо. Їх життєдіяльність гнітюче діє на рослину, при великій заселеність шкідником дерево може зупинитися в рості або навіть загинути.
![Грушевий кліщ Грушевий кліщ]()
- грушева Медяниця (Psylla pyri). Ці крихітні комахи мають довжину тіла в кілька міліметрів. Вони випускають прозору рідину, що покриває їх місця перебування: гілки, листя, квіткові бруньки груші. Покриті липкою рідиною рослини сповільнюються в зростанні, плоди на них набувають деформовану форму. На хворих молодих грушах зупиняється ріст нирок і цвітіння. Якщо з шкідниками не боротися протягом декількох років, вони активно розмножуються, і фруктові дерева перестають рости і плодоносити. Медяницу у фазі розвитку імаго може знищити обкурювання дерева димом: для цього у великій металевій банці або відрі підпалюють деревні тріски, поверх вогню висипають тютюнові відходи і встановлюють саморобний кадило під грушею на 3 години. Після димного обкурювання велика маса медяниць гине.
![Грушева медяниця на листках Грушева медяниця на листках]()
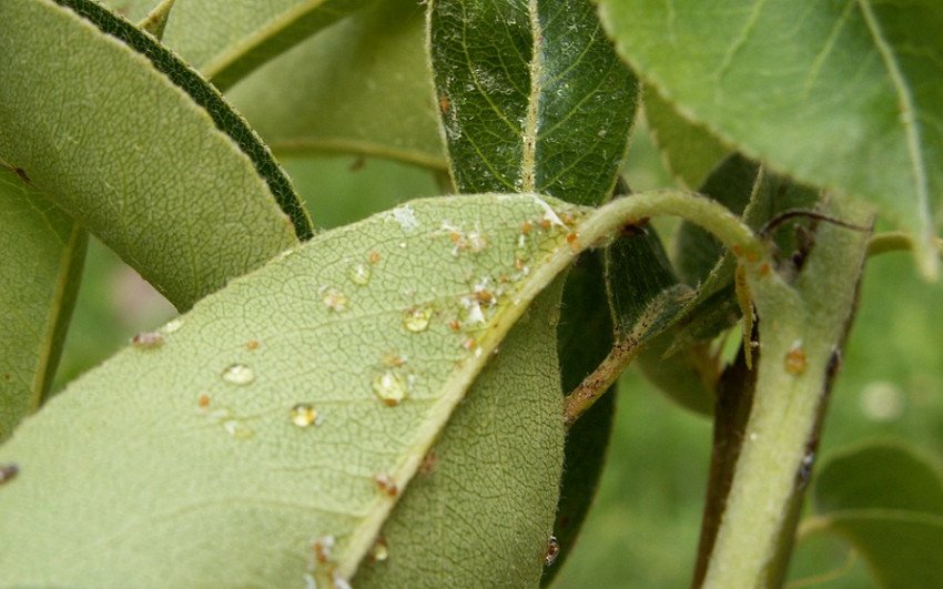
- зелена Попелиця (Anuraphis pyrilaseri Shap). Дрібна комаха з довжиною тіла не перевищує 2-2,5 мм. Швидко розмножується, живе великими колоніями, заноситься на плодові дерева мурахами, з ними комахи живуть в симбіозі. Живиться соками грушевих листків і не здерев'янілих пагонів, бруньок. Заселення дерева попелиць призводить до того, що у весняний час тільки що розпустилися листя зупиняються в рості і складаються вдвічі, уздовж листової жили, прикриваючи які розташовані знизу листка комах. Життєдіяльність попелиці викликає висихання листя груші, опадання кольору і всихання нирок.
![Попелиця зелена Попелиця зелена]()
Хвороби груші:
- Борошниста роса. Хвороба викликана грибком, одним із симптомів є поява білого нальоту на листках і пагонах. Груша завмирає в зростанні, квіти осипаються, не утворюючи зав'язі, а вже сформувалися плоди опадають. Вогкість, часті опади і спека є найбільш сприятливим середовищем для розвитку спір борошнистої роси. В якості профілактики проводять спалювання уражених листя і гілок, обробляють грушу восени колоїдної сіркою, в період вегетації — фунгіцидами.
Знаєте ви? В Англії існує сад під назвою «Сад отрут», у ньому ростуть більше сотні видів цих рослин. Відвідувачам цього небезпечного ботанічного саду заборонено торкатися руками, куштувати або вдихати аромат будь-якого з зростаючих там рослин.
- Коричнева або бура гниль. При цьому захворюванні стебла, квіти і плоди груші покриваються коричневим грибком, який в кінцевому підсумку муміфікує фрукти. Плоди і уражені частини деревини видаляють з дерева, а також вживають заходів для проріджування крони, щоб забезпечити рослині більше сонячного світла і циркуляцію повітря між гілками. В якості профілактики проводять прибирання рослинних залишків в саду, а також застосовують обробку фунгіцидами («Делан», «Тарсел»).
![Коричнева гниль груші Коричнева гниль груші]()
- Бактеріальний рак. Головним симптомом цього вірусного захворювання є виникнення на гілках і стовбурі груші невеликих омертвілих ділянок, які згодом розростаються. На товстих гілках в уражених місцях відбувається розрив кори, і починається протягом камеді. Плоди і листя груші покриваються плямами бордового кольору. Хімічних способів лікування бактеріального раку не існує. Уражені гілки обрізають, розриви на стовбурі обробляють розчином мідного купоросу, після чого на пошкодження застосовують садовий вар.
![Бактеріальний рак груші Бактеріальний рак груші]()
- Іржа. Грибкове захворювання, яке проявляється в появі жовтих плям з пурпуровою облямівкою на листках і зелених пагонах. Через деякий час на місці ураження виникають здуття, трохи пізніше лопающиеся по центру освіти. У груші, хворої іржею, значно знижується опір до інших хвороб і шкідників, а також дерево втрачає стійкість до морозів. В якості лікування проводиться обробка будь-яким системним фунгіцидом («Байлетон», «Скор», «Топсин М», «Фундазол»).
![Іржа груші Іржа груші]()












