Вирощування картоплі починається з вибору якісного і високоурожайного сорту культури, який ідеально підійде під умови середовища у відповідному регіоні. В цьому плані цікавий невибагливий сорт Вега, впевнено завойовує переваги городників і любителів картопляних страв. Докладна інформація про особливості сорту представлена в цій статті.
Історія походження
Сорт Вега був виведений голландськими вченими-селекціонерами. Завдяки своїм відмінним смаковим якостям, дружности дозрівання і високими показниками врожайності він швидко завоював уподобання жителів різних країн і сьогодні успішно вирощується в Україні, Білорусії, Росії. Зокрема, в Російський Державний Реєстр Вега внесений у 2013 році.
Характеристики і опис
Вега належить до середньостиглих столовим картопляним сортам, що відмінно підходять як для вирощування в промислових цілях, так і для особистого вживання. Сорт стійкий до атак хвороб і шкідників, а також не боїться посух і різких температурних перепадів. Дізнатися картоплю Вега можна за наступним характеристикам:
- середнім розміром прямостоячих або полупрямостоячих кущів, тип — проміжний;
- середньої ступеня облиственности;
- темно-зеленою хвилястою листі;
- великих квітках, що пофарбовані в білі або кремові тони та зібрані у компактної форми віночки;
- білим слабоопушенным паросткам;
- дрібних бульб;
- овальної або округло-овальної форми плодів;
- пофарбовану в жовтий колір шкірці;
- дрібним нечисленним не глибоко посадженим оченят;
- темно-жовтої м'якоті;
- приблизною вагою бульби 90-120 г;
- відсутності нетоварної мелочи4
- кількістю бульб у кущі, яке коливається в межах 8-10 штук;
- тривалості періоду дозрівання — від 50 до 60 днів.
Фотогалерея
Переваги і недоліки
- Сортова різновид Вега відрізняється значним переліком переваг, до яких відносять:
- високу врожайність з одного гектара землі можна зібрати 230-375 центнерів коренеплодів;
- відмінні смакові якості — коренеплоди можна використовувати і в дієтичному харчуванні, і для годування дітей;
- короткий період вегетації;
- помірно-суху, не водянисту структуру;
- показник крохмалю 10-16%;
- високі показники збереженості — 99%;
- відмінну транспортабельність;
- рівність і акуратність коренеплодів;
- стійкість до атак шкідників, захворювань, а також до пошкоджень механічного характеру;
- хорошу стійкість до посухи і до різких температурних стрибків;
- тонку, але міцну шкірку;
- одночасне дозрівання плодів;
Посадка картоплі
Продуктивність картоплі Вега залежить не тільки від особливостей сортовий різновиди, але і від дотримання огородником правил агротехніки. Детальніше про культивування різновиди читайте далі.

Оптимальні строки посадки
Ідеальний час для посадки зазначеного виду — кінець квітня – початок травня. У цей період ґрунт буде вже досить прогрітій, що якісно вплине на схожість і ріст рослин.
Ознайомтеся з особливостями вирощування інших сортів раннього картоплі:
Вимоги до грунті
Картопля Вега воліє пухкі грунти піщаного типу. Але для того, щоб домогтися високого та ефективного плодоношення, необхідно ретельно підготувати грунт до майбутньої посадки і поліпшити його якість шляхом проведення таких процедур:
- Сидерація. Якщо посадка здійснюватиметься на наступний рік, то в серпні на відведеній ділянці потрібно посадити сидерати: злакові (пшениця, жито, ячмінь), бобові, хрестоцвіті і складноцвіті рослини. Така міра підготовки сприятиме насиченню грунту азотом, допоможе поліпшити рихлість і структуру грунту, підвищить рівень органічних речовин, а також стійкість майбутніх рослин до хвороб.
- Знезараження. Дезінфікуючі роботи можна починати ще з осені. Так, за 6 місяців до посадки картоплі землю на ділянці обробляють (100-200 г речовини /1 м2). За місяць до посадки культури грунт можна обробити «Формаліном» (розвести в 10 літрах води 250 мл 40% кошти), «Фитоспорином» (6 мл/10 л води), пропорції вказані на 1 м2 ділянки. Безпосередньо перед посадкою субстрат рекомендовано піддати обробці «Триходермин» — 5 г препарату розчиняють у 5 літрах води і використовують на 1 м2. Не можна одночасно проводити дезінфекцію грунту хімічними (вапно, «Формалін») та біологічними речовинами («Фітоспорин», «Триходермін»).
- Добрива. Ще з осені землю на обраному під Вегу ділянці необхідно удобрити солом'яним перегноєм і торфом. Безпосередньо під час посадки у кожну посадочну яму варто внести деревну золу і компостний субстрат.

Підготовка посадкового матеріалу
Цей етап зводиться до вибору якісних бульб та їх поступової підготовки до висадки у відкритий грунт.
Посадковий матеріал можна починати відбирати ще на етапі росту картоплі. Так, слід відзначити перспективні картопляні кущі і восени окремо зібрати з них насіннєвий матеріал. Бульби для посадки повинні відрізнятися рівністю поверхні, правильністю форми, здоровим виглядом, відсутністю механічних пошкоджень або поразок шкідниками. Не рекомендовано використовувати в якості насіннєвого матеріалу маленькі коренеплоди, вага яких нижче 60 г, що виросли з них рослини не дадуть рясного врожаю.
Приблизно за 20-25 днів до посадки вибрані бульби необхідно прогріти, щоб вони проросли. Так, насіннєвий матеріал рекомендовано укласти в окремі ящики або контейнери, в 2-3 шари. Потім потрібно забезпечити плодам хороше освітлення і тепло: оптимальна температура повітря — +15 ° С...+17ºС. Для рівномірного проростання ємності з посадковим матеріалом варто час від часу переміщати.

Технологія посадки
Посадкова технологія і схема виглядає наступним чином:
- Готуються лунки глибиною 10-12 див.
- Дистанція між посадочними ямами повинна становити 35-38 див.
- Між рядами необхідно дотримувати відстань 70-75 див.
- Бульби з паростками поміщають в лунки і закопують.

Особливості догляду
Догляд за сортовий різновидом Вега складається з проведення підживлень, очищення ґрунту від засмічень, поливу та боротьби з шкідниками.
Добриво
Три рази за сезон Вега потребує кореневої підгодівлі:
- під час активного росту зеленої маси і формування бульб культурі потрібні добрива селітрою аміаку (20 г засобу на 1 м2), розчином сечовини по 0,5 л під кожен кущ (1 ст./10 л води). Також на цьому етапі можна використовувати в якості добрив нітрофоску (50 г/1 м2) або нітроамофоску (30 г/1 м2);
- під час бутонізації рекомендується вдатися до підкормкам калійними речовинами (20 г калію/1 м2). Можна з'єднати калій з золою деревини (1 ст./1 м2);
- на етапі цвітіння культура потребу у фосфорі (30-40 г суперфосфату/1 м2).
Відео: Добриво картоплі

Чистка від бур'янів
Ця процедура має проводитися регулярно, оскільки засмічення може стати причиною появи хвороб і шкідників на ділянці. Також це може спровокувати перезволоження грунту і викликати гниття коренеплодів. Крім того, грунт необхідно рихлити, особливо після поливів або тривалих дощових періодів, з метою запобігання утворення кірки на поверхні грунту і появи цвілі.
У посушливі часи потрібно проводити мульчування землі навколо куща, а також між рядами, що допоможе зберегти життєво необхідну культурі вологу і вберегти рослину від висихання. Мульчувати грунт можна торфом, соломою, тирсою, скошеною травою, торішнім листям, корою, картоном, агроволокном, темною плівкою.
Два рази за сезон сорт потребує підгортанні: такий захід сприяє правильному формуванню бульб і запобігає засмічення посадки.
Полив
Зволоження повинно проводитися не часто, але рясно. Отримати хороший урожай можна за умови, якщо глибина зволоження ґрунту буде стабільно підтримуватися на рівні 40-45 див. Спосіб поливу — крапельне зрошення, завдяки якому вода буде надходити безпосередньо до коренеплодів.
Боротьба з шкідниками і хворобами
Вега має стійкий імунітет до атак картопляного раку, тютюнової мозаїки, парші, чорної ніжки. Але рослина може піддатися нападів наступних захворювань і шкідників:
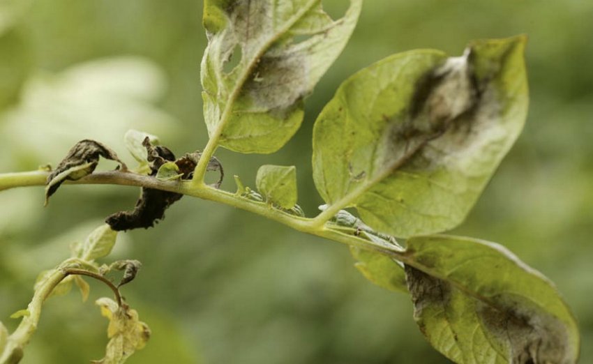
- Фітофтороз — вражає листя, стебла та плоди культури (гниль у вигляді коричневих плям). Усунути хворобу допоможе обприскування розчином купоросу міді (10 г/10 л води) або 1% розчином бордоської рідини.
![Фітофтороз Фітофтороз]()
- Вертициллезное і фузаріозне в'янення — грибкові хвороби, що виявляються в період цвітіння культури. При вертициллезе спочатку в'януть нижні листки картоплі, потім стебла і верхня листя. Грибок вражає і коренеплоди — загнивають їх очі. При фузариозе схема в'янення протилежна: від верху і до низу, хвороба поширюється миттєво. Причини виникнення хвороб — заражений грибками грунт або насіння. Уражені рослини необхідно видалити з ділянки, а здорові в цілях профілактики обляпати розчином «Дитана», «Максима», «Грифона», «Прем'єр Голда», «Ровраля Аквафло», суворо дотримуючись інструкції.
![Фузаріозне в'янення Фузаріозне в'янення]()
- Колорадський жук — ненажерливе комаха, що здатне буквально поглинати картопляні кущі. Якщо шкідник тільки з'явився на ділянці в невеликій кількості, його разом з личинками можна збирати вручну, помістити в посудину з солоною водою і знищувати. Для усунення великих колоній шкідника доведеться вдатися до допомоги інсектицидів: «Сонети», «Престижу», «Конфидора» (розчин для обробки готується строго по інструкції).
![Колорадський жук Колорадський жук]()
- Картопляний дротянка — світлий, жорсткий і міцний черв'як довжиною 3-4 см, який заподіює шкоду коренеплодів, просвердлюючи в них наскрізні діри. Профілактичний захід від шкідника — розривання черв'яка навпіл, якщо він був виявлений при підготовці грунту. Також в посадочну лунку необхідно вносити зазначене в інструкції кількість препарату «Базудин» або «Немабакт».
![Картопляний дротянка Картопляний дротянка]()
- Попелиця — зелене або коричневе комаха завдовжки 2,5–4 мм, їжею якого є соки картоплі. Цукристі продукти виділення попелиці є сприятливим середовищем для розмноження сажистого грибка. Шкідник боїться тютюнового настою: 400 г тютюну заливають 2 л води, киплять, залишають на добу, потім додають до суміші 40 г господарського мила, відро води і кроплять картопляні кущі.
![Попелиця Попелиця]()
- Трипси — дрібні (0,5–2 мм) літаючі комахи бурого або брудно-жовтого кольору. Якщо добре не придивитися, то можна подумати, що на листі просто смітинки. Комахи пошкоджують зелень рослин, залишаючи після себе бурі плями, які згодом чорніють. Прогнати їх допоможе часниковий настій: 150-200 г часнику настоюють 5 діб в 1 л води і проціджують. Для обприскування готують розчин з використанням 60 мл настойки, 40 г господарського мила і відра води.
Збір і зберігання врожаю
Збирати плоди описуваної сортовий різновиди, як і інших видів картоплі, рекомендовано після того, як зів'яне бадилля. Точний час збору плодів залежить від регіону, де висаджувалася культура: в більш теплих можна збирати і в листопаді, в холодних — у вересні. Головне — встигнути до того, як почнуться заморозки.
Перед відправкою коренеплодів в місце зберігання необхідно провести сортування: відібрати посадковий матеріал, відокремити пошкоджені, хворі і дуже дрібні овочі.

Картопляний сорт Вега володіє гарною схоронністю — 99% плодів успішно чекають нового врожаю, за умови, що ви не встигли їх спожити.
















