Ягоди лохини смачні і корисні. Їх їдять у натуральному вигляді, використовують в пирогах і заготовляють на зиму варення. Ростуть вони на листопадном чагарнику, який з'явився з Північної Америки. Лохина показує досить високі врожаї в зонах з помірним і теплим кліматом. Про те, як вирощувати її в Сибіру і які сорти для цього підходять, читайте далі в огляді.
Кращі сорти лохини для Сибіру
Лохина — ідеальна культура для вирощування в садах з добре дренується кислої грунтом під повним сонцем. Існує кілька основних груп цієї рослини: високорослі, низькорослі і напіввисокі. Її карликові різновиди можна вирощувати навіть в невеликих контейнерах, прикрашаючи патіо і зони відпочинку в саду.
Опис перших садових сортів з'явилися на рубежі XX століття. Вони відразу стали надзвичайно популярні. Найпоширеніші характеризуються высокорослостью до 3 м, великими ягодами і гарним урожаєм. Інша частина культурних сортів походить від низькорослих диких болотних рослин. Вони у великій кількості ростуть у Сибіру і на Уралі. Чудово переносять сибірські морози, а також сирої, холодний клімат.

Блюкроп (Bluecrop)
Блюкроп (Bluecrop) отримано в 1915 році. Це самий популярний сорт у світі. На територію СРСР він був завезений майже відразу ж, як тільки з'явився. Садівники відзначають його високі декоративні властивості. Влітку чагарник прикрашає зелене листя, а восени рослини змінюються, дивуючи оточуючих червоним листям на червоних пагонах. Кущам Блюкропа потрібно великий простір т. к. вони ростуть до 2 м у висоту і мають таку ж ширину. Цвітіння припадає на травень, а збір врожаю — на серпень.
Тверді світло-блакитні плоди середнього розміру відомі своїм чудовим смаком і стійкістю до розтріскування. Сорт стійкий до хвороб і посухи. Він буде чудово рости в 4-7 кліматичних зонах і добре переносити морози до -35°С. Але вирощувати його в південних регіонах не рекомендується із-за того, що він погано розвивається в жаркому кліматі.

Блюрей (Blueray)
Блюрей (Blueray) призначений для тих же кліматичних зон, що і Блюкроп. Він легко переносить морози до -35°С. Отриманий в 1955 році схрещуванням декількох інших сортів. Його висота досягає 1,8 м. Кущ характеризується раскидистостью. Солодкі світло-блакитні ягоди цього сорту починають дозрівати на початку або середині липня. Їх маса — 2,2 р.
Ягоди відомі своєю стійкістю до розтріскування, інтенсивним чорничним смаком, ароматом і щільною м'якоттю. Сорт отримав широке розповсюдження завдяки високій врожайності. Але оскільки ягід надзвичайно багато, то садівникам рекомендується проводити регулярне проріджування рослини. Блюрей відмінно поєднується з іншими сортами і потребує перехресному запиленні.

Роуз Шампейн (Rose Champagne)
Ви здивуєтеся, але лохина буває не тільки блакитний. Селекціонерами отримані сорти з рожевими ягодами. Роуз Шампейн (Rose Champagne) чудово переносить морози до -30°С. Як і інші сорти, вона підходить для вирощування в Сибіру. Прямостоячі кущі досягають висоти 3 м. Навесні вони рясно вкриваються рожево-білими квітами, схожими на дзвоники, а восени милують око яскраво-помаранчевої, що переходить в червоний листям.
Коли опадає листя, рослина все одно зберігає декоративність завдяки червоно-коричневою корі пагонів. В технічній стиглості плоди Роуз Шампейн блідо-зелені. По мірі дозрівання вони набувають рожевий колір. Потребує перехресному запиленні і може давати до 10 кг плодів на рік.

Рожевий Лимонад (Pink Lemonade)
Такими ж рожевими ягодами характеризується сорт Рожевий Лимонад (Pink Lemonade). Він трохи менш зимостійкий — переносить морози до -25°С. Але зате самоплоден і є одним з найпоширеніших запилювачів. Його плоди дозрівають в кінці липня або на початку серпня. Сорт відрізняється стабільною врожайністю — до 4-5 кг з одного куща. Висота рослини — близько 2,5 м.

Саншайн Блю (Sunshine Blue)
Саншайн Блю (Sunshine Blue) — це яскраво забарвлені сині грона ягід на тлі ясно-зеленого листя. З точки зору декоративності — це дуже цікавий кущ: з рожевими квітами навесні і яскраво-синіми ягодами влітку на тлі привабливою зелені листя, які восени стануть бордово-червоним. Солодкі ягоди середнього розміру будуть готові до збирання в кінці липня або на початку серпня.
Врожайність з 1 куща становить 4,5 кг. Сорт ідеальний для невеликих ділянок. Його невелика висота робить можливим вирощування в контейнерах. Саншайн відмінно переносить будь-які ґрунти, у тому числі з високим pH. Може рости і плодоносити в північних регіонах. Але за відгуками садівників, у теплому кліматі показує кращу врожайність. Потребує компаньйона-запилювачів.

Топхэт (Top Hat)
Якщо вас більше приваблюють низькорослі екземпляри — посадіть на ділянці Топхэт (Top Hat) він прекрасно зростає як в горщиках, так і у відкритому грунті. Особливостей у сорту величезна безліч. Це гібрид чорниці з лохиною, який чудово переносить морози до -34°С. Зимостійкість сорту одна з найвищих. Він навіть відмінно переносить періоди різкої зміни погоди — від морозу до відлиги і назад. Тому не потребує укриття на зиму. Але якщо у вашій місцевості є зайці, то кущ бажано захистити від них.
Топхэт декоративний протягом всього періоду вегетації. Навесні рослина покривається білими квітами. У липні його гілки покриті величезною кількістю темних ягід з сизим восковим нальотом. Вони володіють відмінними смаковими якостями. Восени листя Топхэта стають бронзово-золотистим. Сорт невимогливий до грунту і може рости скрізь — від пісків до торфовищ. Але вирощувати лохину на глині не варто — рослини загинуть.

Нортланд (Northland)
Нортланд (Northland) — один з найбільш морозостійких сортів. Він добре переносить температури до -40°С. Незалежно від того, наскільки суворою була зима, ви будете забезпечені 4-8 кг смачних ягід з кожного куща. Висота рослини становить 1,2 м.
Так як кущ утворює багато порослі та є дуже розлогим, йому виділяють близько 2 м території. Нортланд легко вирощується і адаптується до різних типів ґрунтів і умов. Характеризується рясним урожаєм солодких ягід з високим вмістом цукру.

Елізабет (Elizabeth)
Елізабет (Elizabeth) — один з найбільш смачних і великоплідних сортів. Він названий на честь тієї, яка поклала початок селекції садових сортів лохини — Елізабет Коулман. Вона ставила метою вирощування комерційно вигідних сортів, які характеризуються великими плодами з високими смаковими характеристиками. І названий на її честь сорт — один з таких.
Кущі Елізабет принесуть вам до 7 кг ягід з насиченим солодким виноградно-чорничним смаком. Вони досягають діаметра 17 мм. Дозрівають поступово протягом 2 тижнів. Термін дозрівання — серпень. Плоди відмінно транспортуються і зберігаються. Для перевезення підходять картонні ящики, розраховані на 1-1,5 кг ваги ягід.

Елліот (Elliott)
До появи сортів Ліберті (Liberty) і Аврора (Aurora), лохина Елліот (Elliott) була лідером серед пізніх сортів. Її середнього розміру плоди дозрівали протягом 3-5 тижнів, що робило рослина привабливим для вирощування на присадибних ділянках. Завдяки високій продуктивності і можливості промислового вирощування, він все ще користується попитом.
Ягоди Еліота дозрівають в кінці серпня. Спочатку їх смак досить терпкий. Але до перших морозів він стає більш м'яким. Сорт самоплоден, але при вирощуванні поруч з ним інших сортів показує більш високу врожайність — до 8 кг з куща при гарному догляді.

Топшелф (Top Shelf)
У березні 2018 року на конференції, присвяченій сортів лохини був представлений новий сорт Топшелф (Top Shelf). Кущ характеризується великою силою росту. Його пагони утворюють форму вази і не вимагають великої ділянки для вирощування.
Рослина має небесно-блакитними ягодами чудового смаку. Їх дозрівання відбувається на 2-3 тижні пізніше, ніж у знаменитого Дюка. Вони чудово зберігаються. Виробник сорту — Девід М. Бразелтон (США), 2012 рік. Сорт підходить для комерційного вирощування в регіонах з морозними зимами також, як і в тих, де погодні умови більш м'які.

Як вирощувати лохину в Сибіру
Перш за все варто відзначити кліматичні особливості Сибіру:
- клімат — континентальний;
- панівні вітру приходять з Північного Льодовитого океану або сходу;
- погода досить стабільна і кількість опадів;
- середньо-зимові температури Західній Сибіру — від -16°С до -30°С, у Східній — до -38°С;
- тривалість зими — від 5 до 9 місяців у році.
Тому рослини, які будуть вирощуватися у відкритому грунті повинні в першу чергу володіти коротким вегетативним періодом. Але якщо їх будуть вирощувати в теплиці, то вибір сортів стане більш різноманітним.
Також враховуйте мінімальні температури саме у вашому регіоні. І не висаджуйте сорти, для яких не вказаний показник зимостійкості або допустимої кліматичної зони.
Що стосується хвороб, то в дикій природі лохина добре справляється з хворобами, і з шкідниками. Всі сучасні сорти походять від диких і були отримані лише за останні 100-150 років. Тому цей чинник багато садівники вважають несуттєвим. До того ж, хвороби завжди послаблюють рослини. А слабкі кущі в умовах морозної зими зазвичай гинуть. Тому всі морозостійкі сорти стійкі до хвороб.

Правила посадки
Лохина віддає перевагу сонячним ділянкам, але добре переносить і півтінь. Грунт повинен бути рихлим і добре дренованим. Якщо ви визначаєтеся з тим, скільки кущів посадити — зупиніть вибір на 2-3 різних сортах. Їх врожаю достатньо для невеликої сім'ї.
Наступним етапом буде підготовка ділянки. Лохина воліє грунт з низьким pH (зазвичай в діапазоні від 4,5 до 5,5) і високою концентрацією живильних речовин. Перш ніж вибрати, виміряйте рівень кислотності за допомогою тестового набору з магазину садівництва. Якщо у вашому місті немає такого, просто замовте його доставку через інтернет.

Щоб знизити рівень рН існує кілька способів:
- додавання компосту або перегною при посадці природним чином знижує рівень рН;
- деякі садівники рекомендують при підготовці посадкового місця замінювати 1/3 ґрунту таким же об'ємом сфагнового моху або торфу.
Для рослин, які вирощуються в контейнерах підходить суміш з половини торф'яного моху в поєднанні із звичайним грунтом. Також сприятливий склад з 50% торфу, 40% деревної кори і 10% піску.
Так як лохина воліє кислий грунт, то додати калій при посадці буде правильним рішенням. Багато калію міститься у деревній золі. Полив землі розчином з 1 ст. ложки білого оцту, розчиненого в 10 л води, також підвищить кислотність ґрунту і може використовуватися, якщо золи під руками не виявилося.

Технологія посадки:
- Для посадки викопайте яму за розміром 5-7 см більше, ніж розмір кореневого кулі. Вийміть рослину з контейнера, в якому воно прибуло з розплідника.
- Якщо кущів кілька, то таку яму робіть на відстані 1-1,5 м від попередньої.
- Зріжте закінчення коренів, щоб стимулювати їх подальше зростання.
- Розмістіть рослину так, щоб місце теперішньої посадки було на 4 см нижче, ніж попереднє. Додайте або видаліть грунт з ями, щоб виконати цю умову.
- Засипте яму і ущільніть землю навколо стовбура.
- Рясно полийте посаджений кущ.

Лохина запилюється бджолами і шмелями. Але деякі рослини не самоопыляемы. Тому кущі двох сортів повинні бути розташовані не далі, ніж в 30 м один від одного.
Завершивши посадку, покрийте стовбурову зону мульчею. Це може бути шар тріски, тирси, соснових голок або іншого матеріалу висотою до 10 див. Уникайте використання трави — це призведе до збільшення кількості бур'янів. Також не використовуйте кедр або інші пахучі види деревини.
Восени шар мульчі прибирають, а коли грунт замерзне, повертають на колишнє місце. Він послужить ізоляцією між холодним повітрям і корінням.

Тонкощі догляду
При посадці рослин обов'язково видаляють бур'яни і надалі підтримують цей стан. Бур'янисті трави є конкурентами культурних сортів у боротьбі за поживні речовини і воду. Якщо використовується мульча, то вона буде перешкоджати зростанню.
По мірі розвитку рослини виснажують грунт. Тому потрібно щорічне внесення наступної порції добрив. Вносять їх до того, як розпустяться бруньки.
Зразковий склад підживлення на один кущ:
- сульфат амонію — 100 г;
- калійні добрива без хлору — 40 г;
- магній — 15 р.
Коли рослина закінчить плодоношення і урожай буде зібраний, цю ж подкорму повторюють ще раз. Якщо рівень кислотності грунту недостатній, то проводять підгодівлю розчином колоїдної сірки — 10 г на 10 л води. Вносять цей склад в прикореневу зону.

Рослині також потрібна періодична обрізка. У перші роки після посадки її не проводять. Потім намагаються видаляти стару, отплодоносившую деревину раз в 3-4 роки, щоб стимулювати зростання нових пагонів.
Так як коріння рослини залягають неглибоко, то йому потрібен частий полив. Частота — 2 рази в тиждень. Обсяг — до 1,5 відра води під кожен кущ. Якщо йдуть дощі, то кількість поливів скорочують.

Збір і зберігання врожаю
Насамперед дочекайтеся, поки всі ягоди на чагарнику стануть одного кольору. Акуратно трусніть гілочку, стиглі плоди впадуть в руку. Тепер можна приступити до їх збирання. Сезон збору залежить від сорту і може бути, як у червні, так і в серпні.
Кущ дозріває не одномоментно, а поступово. Спочатку зріють плоди, розташовані у верхній частині втечі, а потім ті, які нижче. Дозрівання триває до 2-3 тижнів. Тому плануйте збір ягід у кілька етапів.
Визначити зрілість можна за смаком. Зелені — вони більш терпкі, а по мірі дозрівання набувають більше солодощі. Алгоритм збору:
- Підставте долоню під гілку.
- Обережно великим пальцем скатите ягоду зі стебла в долоню.
- Опустіть її у кошик або відро.
Збирайте рано вранці. У цей час ягоди не перегріті сонцем, що дозволяє зберегти їх без обробки на 1-2 доби довше. Лохина —володарка тонкої шкірки. Її ягоди не можуть зберігатися довго. В холодильнику — не більше тижня. В замороженому вигляді — не більше 6-8 місяців. У вигляді варення та інших заготовок — до трьох років.

Захист від шкідників і хвороб
Захворювання у рослин виникають у різні сезони. На щастя тільки тоді, коли для них створюються сприятливі умови. Наприклад, рослина ослаблено, а патоген присутня в навколишньому середовищі. І чим більше сприйнятливий сорт, тим важче кущ переносить захворювання.
Основні хвороби лохини:
- Бактеріальний рак викликається бактерією Pseudomonas syringae. Особливо небезпечний для молодих рослин з-за того, що їх деревина насичена соком і більш схильна до зараження. Бактерія проникає всередину через механічні пошкодження пагонів і листя. Для боротьби з хворобою важливо вчасно обрізати уражені гілки, особливо перед осінніми дощами. З кінця літа уникайте внесення азоту, він сприяє розвитку патогенної мікрофлори. Для профілактики і боротьби використовують обприскування фунгіцидами на основі міді в перший тиждень жовтня і через 3-4 тижні після першого обприскування.
![Бактеріальний рак лохини Бактеріальний рак лохини]()
- Корончаті галли викликаються бактеріями Agrobacterium tumefaciens. Збудник поширюється шляхом розбризкування під час дощу, зрошення, а також за допомогою садових інструментів. Основний симптом — жовті пухирчасті освіти на стеблах та коренях. Не висаджуйте на ділянці рослини, у яких є галли. Проводите посадку лохини тільки на сонячних ділянках. Промені сонця руйнують патоген.
![Корончаті галли на стеблах лохини Корончаті галли на стеблах лохини]()
- Коренева гниль виникає внаслідок порушення режиму зрошення та при застої вологи біля коренів. Вони стають сірими, втрачають здатність споживати поживні речовини з ґрунту, загнивають і рослина гине. Основний спосіб боротьби — дотримання правильного режиму посадки і поливу.
![Коренева гниль лохини Коренева гниль лохини]()
- Фітофтороз викликаний ґрунтових патогеном Phytophthora cinnamomi. Гриб відмінно розвивається при теплій погоді, а взимку гине. Поширюється з забрудненою водою і грунтом. Симптоми включають в себе затримку росту та хлороз листків. Фітофтора — проблема вологих ділянок. Тому вибирайте добре дреновані грунти і уникайте глинистих, важких грунтів з поганим дренажем.
![Фітофтороз лохини Фітофтороз лохини]()
- Муміфікування ягід виникає через ураження грибком Monilinia vaccinii-corymbosi. Нормально розвинені плоди передчасно засихають. Листки також можуть чорніти і обсипатися. Для профілактики кущі обробляють сечовиною. Час обробки — навесні до розпускання бруньок.
![Муміфікування плодів чорниці Муміфікування плодів чорниці]()
- Моніліоз або плодова гнити проявляється в тому, що плоди раптово темніють, починають гнити і обпадають. Уражені ягоди потрібно видалити, а рослина обробити 1% розчином бордоської рідини.
![Моніліоз лохини Моніліоз лохини]()
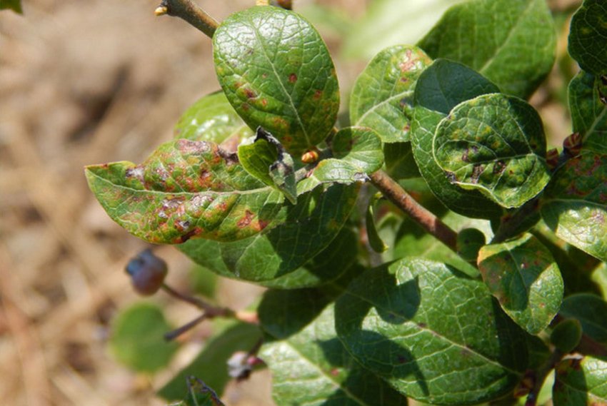
- Фомопсис також є грибковим захворюванням. Проявляється у вигляді коричневих плям з більш світлою серединкою на листках. Для боротьби з проблемою рослина обробляють «Трайдексом» 3 рази, кожні 7 днів з моменту виявлення.
![Фомопсис листя лохини Фомопсис листя лохини]()
- Альтернаріоз викликає грибок Alternaria tenuissima. Захворювання може розвиватися і на вже зібраних ягодах, якщо на них були спори гриба. Пошкоджений плід може бути покритий черноватой або темно-зеленої масою суперечка, що надає поверхні тьмяний відтінок. У момент збору такий плід може бути сухим, але він почне гнити через деякий час. Тому не збирайте врожай після дощу, коли ягоди мокрі. Обприскуйте фунгіцидами на основі міді ранньою весною до розпускання бруньок і тоді, коли будуть помічені ознаки хвороби.
![Альтернаріоз лохини Альтернаріоз лохини]()
Щоб ефективно протистояти патогенної мікрофлори, проводите профілактичні обприскування. Також не забувайте, що краще висаджувати сорти, стійкі до хвороб, ніж лікувати ті, які будуть дивуватися, як тільки виникнуть відповідні умови.
Основний шкідник ягід — це птахи. Вони з задоволенням скльовують смачну лохину незалежно від того, якого кольору плоди: рожевого, блакитного або темно-синього. Для захисту від них фермери накривають кущі сіткою, як тільки починає дозрівати урожай. Вибирають сітку з невеликими отворами, щоб не пропускати дрібних птахів. І встановлюють її на кілки. Вона не повинна лежати на самому кущі.

Основні шкідники:
- Метелик стрельчатка вересова відкладає яйця на листя чагарнику. Її яскраві чорно-білі волохаті гусениці з помаранчевої головкою помітні здалеку. Вони активно поїдають зелень і молоді гілки. Для боротьби з ними застосовують «Фуфаноном» або «Актеллік».
![Стрельчатка вересова Стрельчатка вересова]()
- У голубичной п'ядуна також гусениці живляться листям. Вони володіють помітною синьо-жовтим забарвленням з чорними смугами по довжині тулуба. З'являються вони в травні. Для боротьби застосовують «Кінмікс» або «Інта-Вир».
![Голубичная пяденица Голубичная пяденица]()
- Листовійка — популярний шкідник садів. Її гусениці яскраво-салатового кольору також живляться рослинними соками. А коли приходить пора окукліваться, вони скручують лист, що і дало назву комасі. Для боротьби з листокруткою підходить більшість інсектицидів з широким спектром дії.
![Листовійка на голубиці Листовійка на голубиці]()
Хоча хвороб і може бути багато, як і шкідників, пам'ятайте, що вони рідко вражають здорові потужні рослини. Тому не нехтуйте підгодівлями і вчасно проводьте профілактику хвороб.
Якщо сортів багато, то важко вибрати якийсь один. На щастя, при вирощуванні лохини це і не потрібно. Посадка декількох сортів поруч, збільшує врожайність кожного в результаті перехресного запилення. Також обов'язково враховуйте те, в яких умовах ця рослина дає максимальний урожай і намагайтеся дотримуватися їх.










