Одним з популярних сортів груш, який характеризується ранніми осінніми термінами дозрівання, є Російська красуня (друга назва — Красуня Черненко). Високі грушеві дерева буквально усипані великими фруктами, мають відмінні смакові характеристики і чудовий зовнішній вигляд, який робить їх затребуваним товаром серед багатьох покупців.
Ботанічний опис і характеристика груші
Дана різновид груш була отримана селекціонером Семеном Черненко, який провів схрещування сортів Дочка Бланкової та Бере Арданпон. Робота по отриманню нового сорту проводилася у ВНДІ генетики і селекції плодових рослин, який знаходиться в місті Мічурінськ.
Характеристики дерева і плодів
Дерева цього сорту відрізняються великими розмірами, а їх тривалість життя становить від 50 до 80 років. Але не можна вирощувати Російську красуню в регіонах з суворим кліматом, оскільки вона не переносить сильних і затяжних морозів.

Опис сорту Російська красуня:
- Висота дерева може становити до 6 м. Стовбур і вертикально зростаючі гілки покриті коричневою корою.
- Формою крона дерева нагадує витягнуту піраміду. На червонуватих пагонах з помірною густотою розташовані великі зелені листя. Вони мають продовгувату форму та зубчасті краї.
- Плодові бруньки пофарбовані в темно-коричневий колір і щільно прилягають до гілок.
- Період цвітіння дерева потрапляє на середину або кінець травня. Квіти мають великі розміри і приємний аромат, а їх пелюстки забарвлені в білий або світло-рожевий колір.
- Стиглі груші мають великі розміри, а маса кожної з них становить 180-250 р. Для фруктів характерні подовжена форма і горбиста поверхня.
- Щільна шкірка стиглих плодів пофарбована в зеленувато-жовтий колір з червонуватим відливом і покрита тонким шаром воску.
- Колір м'якоті — білий. Вона соковита, має полумаслянистую структуру, легкий аромат і приємний солодкий смак з характерною кислинкою. В серцевині плоду знаходяться довгасті насіння коричневого кольору.
Переваги і недоліки сорту
Груша Російська красуня приваблює багатьох садівників своїми позитивними характеристиками, але перед посадкою цього сорту потрібно також вивчити і його недоліки.
- До переваг Російської красуні належать:
- висока врожайність;
- відмінні товарні якості плодів;
- самоплідність — під час цвітіння на дереві розпускаються квіти двостатеві, не потребують опылителях;
- хороший імунітет до хвороб та шкідників при правильному догляді;
- тривалий період плодоношення — при дотриманні рекомендацій по вирощуванню дерево може давати урожай на протязі 30 років і більше.
- До основних недоліків сорту належать:
- пізніше початок плодоношення;
- низька врожайність у перші роки;
- низька морозостійкість дерева — сорт боїться морозів нижче -20°С;
- різні розміри стиглих груш;
- вертикальне розташування гілок — вони можуть надламываться під вагою снігу і великої кількості великих фруктів, а також перешкоджають збору врожаю;
- низька посухостійкість;
- схильність до ураження грибковими інфекціями за помилки в догляді.
Відео: Груша Російська красуня

Сорти-запилювачі
Цей сорт відрізняється самоплідністю і може обходитися без додаткових запилювачів. Але для досягнення високих показників врожайності дерева Російської красуні рекомендується садити поряд з іншими різновидами груш середнього терміну дозрівання, щоб вони успішно опыляли один одного.
найкращими сортами-запилювачами для дерев Російської красуні є:
- Улюблениця Яковлєва;
- Лада Амурська;
- Бере Московська;
- Москвичка.

Урожайність сорту Російська красуня
Початок терміну плодоношення і кількість зібраних фруктів залежать від умов вирощування і правильного догляду.
Основні характеристики врожайності даного сорту:
- перше плодоношення настає через 6-8 років після посадки саджанця;
- кількість стиглих фруктів плавно збільшується з кожним роком;
- максимальна врожайність досягається через 4 роки після початку плодоношення;
- груші, досягли віку 10-11 років, характеризуються регулярним і рясним плодоношенням протягом всього терміну життя дерева;
- врожайність з одного дорослого примірника становить близько 50-60 кг, але може досягати і 130 кг;
- після перенесеного захворювання або сильного ураження шкідниками груша може давати меншу кількість плодів.

Посадка і догляд за грушею
Успіх вирощування цього сорту на ділянці залежить від якості саджанців і від того, наскільки правильно було вибрано місце для посадки дерев. Навіть здорові і міцні екземпляри можуть погано вкорінюватися і рости на ділянці, який не відповідає певним вимогам, а неякісний посадковий матеріал загине навіть при створенні ідеальних умов. Не менш важливо правильно провести процедуру посадки, щоб коренева система молодого дерева була занурена у грунт на оптимальну глибину.
Головні правила при посадці
Дерева цього сорту погано ростуть в дуже холодному або занадто жаркому кліматі. У північних регіонах груша може підмерзнути взимку, а в південних страждає від посухи, що робить шкірку плодів гіркого.
Терміни посадки даного сорту залежать від клімату:
- у південних регіонах висадку молодих дерев здійснюють на початку жовтня;
- в умовах помірного клімату посадку проводять в кінці квітня або початку травня;
- температура повітря на момент посадки не повинна опускатися нижче +5°С;
- підготовкою посадкових ям потрібно займатися приблизно за 20-30 днів до посадки, щоб грунт у них встигла осісти.
Відео: Інструкція по посадці груші

Основні правила вибору посадкового матеріалу, вимоги до ділянки для вирощування груш і технологія посадки саджанців представлені далі.
Вибір якісних саджанців для посадки
При купівлі саджанців Російська красуня потрібно вміти відрізнити здорові і міцні екземпляри від неякісних. Для цього звертають увагу на зовнішній вигляд молодого деревця, і його вік.
Список рекомендацій по вибору посадкового матеріалу:
- краще купувати саджанці, які досягли віку 2 років — вони швидше вкорінюються в грунті;
- висота деревця має становити до 1 м — більш високі примірники довше і важче адаптуються до нових умов;
- краще купувати саджанці з декількома бічними гілками і діаметром головного стовбура 1-1,2 см — це свідчить про те, що вибраний екземпляр досить зміцнів;
- молоде деревце повинно мати здоровий і свіжий вигляд, без механічних пошкоджень і ознак ураження хворобами чи шкідниками;
- коріння якісного саджанця пружні і свіжі, без пошкоджень і наростів, пофарбовані у світлий колір.

Вибір відповідного місця для посадки
Від правильного вибору ділянки для вирощування цього сорту залежить успішне укорінення саджанця, його подальше зростання і показники врожайності дорослого дерева.
Тому обране місце повинно відповідати таким вимогам:
- гарна освітленість сонцем — його промені необхідні для рівномірного дозрівання груш і насичення їх м'якоті цукром;
- захищеність від протягів і холодного вітру;
- рівна поверхня землі без глибоких западин — для запобігання застою талої та дощової води;
- південно-східне або південно-західне розташування — дерева дають високий урожай плодів тільки при достатній кількості сонячного тепла;
- відсутність споруд та інших об'єктів в радіусі 5 м — вони можуть кидати тінь на грушу і перешкоджати вільному доступу сонячних променів;
- наявність рихлою і легкої ґрунти з низьким рівнем кислотності — вона забезпечує вільний доступ повітря і вологи до коренів;
- відсутність залягають біля поверхні грунту підземних вод — вони можуть викликати гниття коренів.

Детальна схема посадки
Щоб саджанець Російської красуні успішно вкоренився, посадку потрібно здійснювати за певними правилами. Розміщувати дерева цього сорту потрібно так, щоб між ними залишалося відстань близько 6 м — це буде сприяти нормальній циркуляції повітря навколо крони та вільному доступу сонячного світла.
Технологія посадки саджанця Російської красуні:
- Треба викопати посадочні ями з діаметром 80 см і прямовисними стінками. Глибина кожної з них повинна бути близько 1 м, а землю, отриману в процесі викопування, потрібно відкласти окремо.
- Додати до відкладеної ґрунті 3 відра перегною, 15 г сульфату калію і 250 г суперфосфату. Сформувати на дні поглиблення невеликий горбок з отриманої суміші і накрити яму плівкою — це допоможе зберегти землю рихлою і захистить її від пересихання.
- Якщо коріння саджанця занадто довгі, їх вкорочують приблизно на 10 см, а потім поміщають в ємність з водою приблизно на 1 годину. Верхівку дерева також можна підрізати, залишаючи держак довжиною близько 70 див.
- Безпосередньо перед посадкою коріння деревця занурюють у в'язку субстанцію, приготовану з води, землі і жмені деревної золи.
- Зняти з посадкової ями плівку і вбити в дно дерев'яну опору довжиною до 1,5 м. Якщо грунт дуже суха, то її поливають невеликою кількістю води.
- Занурити саджанець у заглиблення так, щоб коренева шийка розташовувалася на відстані 5-7 см над поверхнею грунту. Коріння груші розправити на поверхні горбка.
- Засипати яму рихлим садовим грунтом і злегка утрамбувати його руками, формуючи пристовбурне коло. Підв'язати саджанець до опори.
- Навколо груші викопати невелику канавку глибиною близько 6 див. Залити в неї 20 л води, а коли волога повністю вбереться — покрити поверхню землі навколо стовбура шаром торфу або тирси.

Головні правила догляду
Після посадки саджанці груші потребують певного догляду. Деревах потрібен регулярний полив і періодичне внесення добрив. Щоб запобігти виникненню захворювань і поліпшити зовнішній вигляд груші, проводять формуючу обрізку. Не менш важливо подбати і про зимовому укритті дерева, щоб захистити його від морозів і яскравого зимового сонця.
Полив і добрива
Сорт Російська красуня потребує помірно вологому грунті й достатній кількості поживних речовин. Ці два фактори мають великий вплив на показники врожайності дерева і смакові характеристики плодів.
Основні правила поливу груші даного сорту:
- перший полив здійснюється навесні перед початком цвітіння;
- при кожному поливі дерево зрошують в ранкові та вечірні години, використовуючи дві однакові порції води;
- молодим саджанцям потрібно близько 10-15 л води за один раз, а дорослим — не менше 20-25 л;
- другий полив здійснюється на етапі формування зав'язей;
- після кожного зрошення груші земля навколо стовбура повинна намокати на 50 см углиб;
- влітку дорослі дерева поливають у міру необхідності кожні 2-3 тижні, а молоді саджанці — щотижня;
- щоб не розмивати грунт навколо коренів, зрошення здійснюють з допомогою розпилювача;
- останній полив здійснюється у другій половині вересня після збору врожаю.

Під час посадки в грунт додається достатню кількість добрив, які забезпечують саджанець поживними речовинами на найближчий час, тому дерева починають підгодовувати тільки на другий рік після посадки. При цьому використовують різні види добрив і вносять їх в період з весни до осені.
- перед цвітінням дерева поливають водним розчином мінеральних добрив — для зрошення 1 м2 посадок буде потрібно 30 г селітри і 120 г карбаміду. Їх додають у воду, призначену для поливу культури;
- в кінці весни грушу удобрюють водним розчином нітроамофоски (150 г речовини на 30 л води) — під кожне дерево виливають 30 л приготованого добрива;
- підгодівлю органікою здійснюють навесні 1 раз в 3 роки — на кожне дерево вносять близько 30 кг гною або пташиного посліду;
- у першій половині червня грушу обробляють розчином сечовини — 600 г речовини розчиняють у відрі води, а потім зрошують сумішшю крону і грунт навколо стовбура;
- після збору врожаю вносять калійно-фосфорні добрива для підживлення кожного дерева розводять 60 г хлориду калію і 120 г суперфосфату на 10 л води. Для молодих саджанців, які не досягли віку 6 років, зменшують дозування в 1,5 рази;
- при осінній перекопуванні грунту під кожне дерево вносять по 150-200 г деревної золи.

Обрізування і формування крони
Для дерев цього сорту характерні швидкі темпи зростання, тому їх гілки потрібно періодично обрізати, починаючи з другого року після посадки саджанця. Ця процедура проводиться ранньою весною і після збору стиглих фруктів, допомагаючи оформити помірно густу пірамідальну крону.
Правила обрізки грушевого дерева:
- Через рік після посадки довжину основного провідника зменшують на 25 см. Для закладання першого ярусу скелетних гілок залишають 3-4 міцних втечі на висоті 60-80 см над землею, скорочуючи їх на третину довжини. Інші пагони видаляють.
- Щоб підвищити врожайність груші, скелетні гілки відгинають від ствола так, щоб утворився кут 60°. Для цього до втеч прикріплюють важкий вантаж або фіксують їх за допомогою мотузки і колів, вбитих в землю.
- На наступний рік формують другий ярус гілок на відстані 40-60 см від першого, залишаючи 2-3 найсильніших втечі. Зайві гілки обрізають, а решта вкорочують на чверть довжини. Верхівку саджанця знову зрізують.
- Наступної весни формують третій ярус гілок, що складається з 2-3 найбільш сильних пагонів. Зайві і зростаючі всередину дерева гілки видаляються, а головний провідник ще раз обрізається для стимуляції росту бокових пагонів.
- Через 4 роки після посадки проводять прорідження крони — для цього обрізають молоді пагони, що ростуть на скелетних гілках занадто близько один до одного. Видаляються всі вовчки (не дають плодів вертикальні гілки) і тонкі гілки, що ростуть усередину дерева.
- Починаючи з 8-9 року життя проводять омолоджуючу обрізку — головний стовбур вкорочують на 40%, а краї гілок обрізають на третину довжини.
- Восени кожного року на груші обрізають сухі та пошкоджені гілки, щоб підвищити стійкість дерева перед зимівлею.

Побілка дерева
Дана процедура проводиться навесні і восени. Вона захищає стовбур дерева від яскравого сонця і гризунів, а також сприяє загибелі знаходяться під корою шкідників. Для побілки груші використовують розчин з таких компонентів:
- 1 кг вапна;
- 0,5 кг глини;
- 150 г мідного купоросу;
- 3,5 л води (для молодих саджанців — 6 л).
Отриманою сумішшю обробляють стовбур і гілки першого ярусу.

Підготовка дерева (саджанця) до зими
Щоб захистити чутливу до морозів грушу Російська красуня від негативного впливу низьких температур і яскравого зимового сонця, проводять комплекс заходів по утепленню дерева. При цьому виконують такі дії:
- видаляють з області пристовбурового кола опале листя, бур'яни і сміття;
- виконують перекопування грунту навколо дерева на глибину близько 10 см — це допомагає знищити зимують у ґрунті личинки шкідників;
- покривають пристовбурне коло шаром мульчі з торфу або тирси завтовшки близько 20 см — це захистить коріння від замерзання;
- виконують побілку стовбура для захисту від яскравих сонячних променів і обмерзання кори;
- стовбур вкривають мішковиною або ялиновим гіллям, фіксуючи його з допомогою суміші з рівних частин глини і гною;
- після появи стійкого снігового покриву навколо стовбура формують снігову подушку висотою близько 0,5 м.

Хвороби і шкідники
В результаті помилок у догляді дерево може захворіти або піддатися атаці шкідників. При цьому значно знижується врожайність культури, а сильне зараження може повністю знищити грушу.
Список основних хвороб і шкідників, які можуть загрожувати цього сорту:
- Плодова гниль (моніліоз). Хвороба має грибкову природу та проявляється гниття плодів. Спочатку на них з'являються невеликі світлі плями, які поступово збільшуються в розмірах і призводять до псування фрукта. Інфекція добре розвивається в умовах застою повітря і підвищеної вологості. Для лікування потрібно видалити всі загнили груші, а крону обробити бордоською рідиною або спеціальними препаратами (наприклад, «Скор»).
Плодова гниль робить груші неїстівними![Плодова гниль груші Плодова гниль груші]()
- Борошниста роса. Це грибкове захворювання загрожує всім частинам дерева. Ознакою інфекції є світлий наліт, який поступово темніє і призводить до загибелі листя і зав'язі. Уражені грибком ділянки видаляють, а грушу обприскують спеціальними препаратами (наприклад, «Азофосом»).
![Борошниста роса на листі груші Борошниста роса на листі груші]()
- Парша звичайна. Симптомом цього грибкового захворювання є темні кірочки, які покривають листя і плоди груші. Для усунення інфекції проводять обрізку уражених частин дерева, а потім обробляють її препаратами проти грибка.
Хоча сорт успішно протистоїть парші, дощовим літом може захворіти і Російська красуня![Парша звичайна на груші Парша звичайна на груші]()
- Бура плямистість (филлостиктоз). Ця грибкова інфекція вражає листя груші, покриваючи їх бурими плямами з темною облямівкою. Поступово плями збільшуються в розмірах і лист опадає, а спори грибка поширюються на здорові частини дерева. Лікують захворювання за допомогою видалення потемнілих листків та обприскування крони лікарськими препаратами (наприклад, «Швидкий»).
Филлостиктоз активно поширюється у вологу погоду![Бура плямистість на листках груші Бура плямистість на листках груші]()
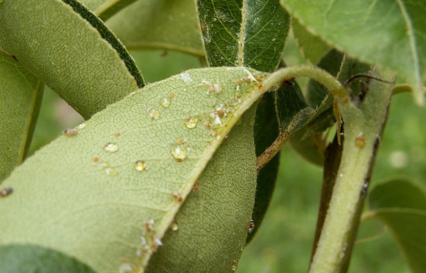
- Грушева медяниця. Шкідник активізується навесні і покриває всі частини дерева липким сірим нальотом, знищуючи плодові бруньки. Для лікування грушу обприскують «Интавиром» або «Фуфаноном» до моменту розпускання бруньок.
Метелик мідяниця живиться плодовими нирками рослини![Грушева медяниця на листках Грушева медяниця на листках]()
- Листовійка. Даний шкідник завдає механічні пошкодження фруктів і нищить листя, в результаті чого вони темніють і скручуються в трубочку. Для лікування потрібно видалити всі уражені частини дерева, а до початку цвітіння можна використовувати інсектициди («Атом», «Террадима»). Після цвітіння хворі груші обробляють розчином бактеріальних препаратів (наприклад, «Лептоцида»).
Листовійка скручує лист споруджуючи в ньому гніздо![Листовійка на груші Листовійка на груші]()
- Плодожерка. Цей шкідник прогризає в м'якоті плодів довгі ходи, в результаті чого груші обсипаються з дерева і стають непридатними для зберігання. Щоб позбутися від комах, потрібно знищити всі уражені плоди, а крону груші обробити препаратом «Іскра-М» до початку цвітіння та після нього.
![Плодожерка в груші Плодожерка в груші]()
До основних заходів профілактики появи перерахованих хвороб і шкідників належать:
- регулярний огляд дерев з метою раннього виявлення проблеми;
- осіння перекопка грунту навколо груші;
- санітарне обрізування пошкоджених гілок і ділянок кори;
- обробка тріщин і механічних пошкоджень деревини садовим варом;
- очищення пристовбурового кола від опалого листя та груш, бур'янів і сміття;
- проріджування крони з метою поліпшення циркуляції повітря;
- дотримання графіка поливу і внесення добрив;
- розпушування ґрунту навколо дерева для запобігання застою води.
Особливості збору і зберігання врожаю
Дозрівання груш Російська красуня починається в кінці серпня, а його точні терміни залежать від кліматичних умов регіону. Збирати плоди можна на тій стадії, коли їх шкірка забарвиться в зеленувато-жовтий колір, чи залишити їх на дереві до першої половини вересня, щоб вони придбали характерний рум'янець.
Основні правила збору і зберігання плодів:
- збір урожаю проводять у суху погоду;
- для кращого зберігання фрукти рекомендується збирати злегка недозрілими;
- груші знімають з дерева разом з плодоніжками — це збільшує термін зберігання;
- з фруктами звертаються дуже акуратно, оберігаючи їх від механічних пошкоджень і ударів;
- цільні плоди укладають на зберігання в ящики, розміщуючи в 2-3 шари і розділяючи кожен їх них шарами паперу;
- фрукти зберігають у темному приміщенні при температурі 0...+1°С і відносній вологості повітря-94%.

В правильних умовах мікроклімату груші можуть зберігатися до 3 місяців. Стиглі плоди можна використовувати в свіжому вигляді, а також для приготування десертів і консервованих заготовок.
Груша Російська красуня вирощується на багатьох садових ділянках, щорічно забезпечуючи садівників урожаєм солодких фруктів. Використовуючи перелічені у статті рекомендації по догляду за культурою, ви зможете посадити і успішно виростити даний сорт і на своїй ділянці.













