У наш час відомо багато різних сортів винограду, кожен з яких відрізняється своїм смаком, розміром ягід і їх вагою. Пропонуємо познайомитися з яскравим представником темного виду, а саме сортом Велика. Дізнайтеся, чим він примітний, як його вирощувати і розмножувати.
Історія селекції
Сорт винограду Велика отриманий від схрещування таких представників цього виду рослин, а саме: французького Альфонс Лавалле і столового з Малої Азії — Карабурну. Над його створенням працювали селекціонери Болгарії. Вперше він був представлений суспільству в 1987 році Іваном Тодоровим.
Характеристика та опис сорту
Велика — столовий виноград, ягоди якого цінуються за хороший смак.
Зовнішній вигляд і смакові якості
Сорт є сильнорослою, незважаючи на те, чи зростає він на власних коренях, або прищеплений на іншу культуру. Пагони наділені великою силою росту і досить легко вкорінюються.
Сорт наділений такими характеристиками:
- Кущ. Завдяки тому, що сорт має двостатеві квітки, він наділений високими показниками врожайності. Сильнорослий, тому кущ вимагає формування з першого року життя. Ріст пагонів контролюють з допомогою стримують підщеп.
- Грона. Великого розміру, але при цьому середньої щільності. Форма конічна. Довжина приблизно 18 см, середня вага до 1 кг Повноцінний догляд та підживлення можуть допомогти набрати масу 2 кг
- Ягоди. Великого розміру, 28×23 мм; вага однієї сягає 14 р. Вони забарвлені у темно-фіолетовий колір, на шкірці є невеликий наліт. М'якоть м'ясистої консистенції з великим вмістом соку. Відчуття солодкості і кислоти збалансовані; є характерний присмак чорносливу.
- Врожайність. З одного куща, при дотриманні правил вирощування, можна отримати до 10 кг ягід.
Плюси і мінуси
- Переваги:
- висока швидкість росту;
- ранній термін дозрівання;
- відсутність розтріскування ягід навіть у дощовий час;
- гарна транспортабельність;
- висока врожайність;
- гармонійний смак;
- тривалий термін зберігання;
- непогана стійкість до холодів.
- Недоліки:
- великий розмір куща;
- середня опірність захворюванням;
- вимагає ретельного догляду.
Призначення сорту
Сорт Велика вживають у свіжому вигляді і використовують для виробництва вина.
Посадка винограду
Існує ряд правил та умов, які потрібно знати для правильного, а головне — результативною посадки винограду сорту Велика.

Підходящі терміни
Найкращий період для посадки саджанці винограду Велика — весняний період, коли земля добре прогрілася. Крім цього, подібні маніпуляції можна проводити восени, однак в цей час саджанець повинен бути в ідеальному стані, щоб пережити холоди.
Вибір саджанців
Перед прийняттям рішення щодо придбання саджанців корисно з'ясувати, які вимоги до них пред'являються:
- Місце покупки. Краще вибирати спеціальні розплідники, в яких вирощують здорові і пристосовані до різних умов саджанці.
- Зовнішній вигляд саджанця. Коренева система повинна бути розвиненою, на ній обов'язково присутність декількох штук повноцінних коренів, довжина кожного більше 2 мм
- Пагони повинні бути визрілими біля основи. Довжина визрілого приросту — не менше 25 див.
- Коли саджанці купуються восени, листя повинні бути відсутніми, так як вони поглинають вологу, що негативно відбивається на стані рослини.
Підготовка місця і технологія посадки
Місце для посадки повинно відповідати особливостям сорту. До них відноситься важливість провітрювання і відсутності близького залягання підземних вод. До того ж, для повноцінного росту і насичення ягід потрібно достатня кількість сонця і тепла, тому для посадки вибирають південної або південно-західну сторону на ділянці. Для посадки викопують яму шириною 60 см і глибиною 100 див.

Вирощування і правильний догляд
У догляду за виноградом сорту Велика є певні особливості.
Полив і підгодівлі
Відразу після посадки саджанець потребу в систематичному поливі. Проводять подібні маніпуляції двічі на тиждень, наливаючи під кожен кущ по 10 л води. Для успішного вкорінення важливо, щоб земля намокав на глибину до 45 см, тільки в цьому випадку всі корені отримають вологу.

Треба знати, коли і які підгодівлі для цього використовують:
- Під час формування бутонів. Вносять мінеральні добрива з низькою кількістю азоту. Розчин готують з 35 г гранул і 10 л відстояної води. Вносять його під корінь, а потім проводять додатковий полив.
- При дозріванні винограду. Склад готують з 15 г суперфосфату, 10 г калійної солі, 1,5 г борної кислоти і 5 л води. Все перемішують і отриманим розчином обприскують листя.
- Через 2 тижні після попередньої. Обприскування проводять наступним складом: 5 г калійної солі, 5 г соди, 2 краплі йоду і 5 л води. Все змішують і обприскують листя і лозу.
Обрізка і формування куща
Практично всі плодові рослини потребують обрізання, і виноград не є винятком. Подібні маніпуляції проводять під час посадки, а надалі — щорічно. Крім усього іншого, в цей час проводять видалення пошкоджених і сухих пагонів, а також формують крону. Формувати крону потрібно з першого року життя. Для правильних дій потрібно попередньо спорудити шпалеру.

Мульчування
Для збереження вологи в ґрунті використовують мульчу. У разі вирощування винограду будь-якого сорту рекомендується брати органічну основу — це може бути суха трава або листя. Розкладають її поблизу пристовбурового кола шаром до 10 див.
Способи розмноження
Найкращий спосіб розмноження винограду сорту Велика — щеплення до сильних сортів. Найкращий період для цих дій — час активного руху соку в рослинах. Місце вибирають на відстані 50 см від землі. Роблять розріз, видаляють частину кори і вставляють держак, попередньо змочений у садовому варі. Для зрощення важливо міцно прив'язати його хомутом або будь-якими тканинами.

Укривання на зиму
Подібні маніпуляції проводять, коли температура в нічний час доби опускається до рівня +3°С. Вони полягають в акуратному укладанні лози на землю і присыпании її піском. Зверху укладають нетканий матеріал. Щоб конструкція була міцною, її з боків закріплюють металевими дугами. Зазвичай це роблять в кінці листопада. Якщо випадково відбудеться потепління, захисний матеріал частково відкривають для провітрювання лози.
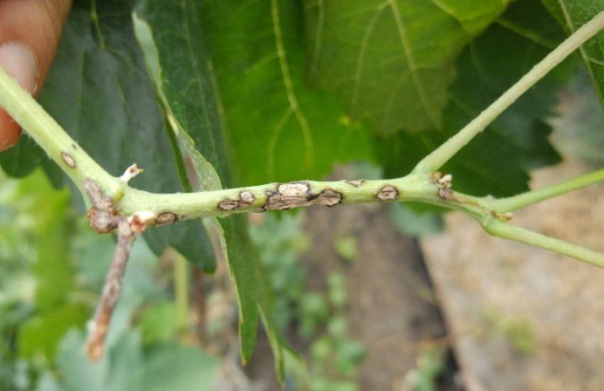
Захист від хвороб і шкідників
Один з істотних мінусів сорти Велика — погана стійкість до захворювань, тому важливо регулярно оглядати кущ і грона, відшукуючи сліди присутності шкідників або хвороб, а при їх виявленні негайно проводити обробку.
Найчастіше цей виноград можуть вразити грибкові захворювання:
- борошниста роса;
![Борошниста роса винограді Борошниста роса винограді]()
- антракноз;
![Антракноз винограду Антракноз винограду]()
- сіра гниль;
![Сіра гниль Сіра гниль]()
- чорна плямистість.
![Чорна плямистість Чорна плямистість]()
Для боротьби з ними використовують такі фунгіциди:
- «Абига-Пік»;
- «Байлетон»;
- «Ордан».
На початковій стадії комах прибирають вручну, а для профілактики повторного нападу проводять обробку наступними засобами:
- «Фастак»;
- «Кінмікс»;
- «Фозалон».
При сильному пошкодженні, коли вже не можна врятувати кущ, його знищують. Листя в обов'язковому порядку спалюють. Як видно з усього викладеного, догляд за виноградом сорту Велика не такий вже складний, незважаючи на його вимогливість. Головне — дотримуватися рекомендацій, зазначених у статті.
Відео: сорт винограду Велика

















