Серед безлічі сортів картоплі окремої уваги заслуговують нові, недавно отримані сорти. Селекціонери покращують їх врожайність, роблять більш стійкими до захворювань. Одним з таких сортів є Ажур, виведений всього 2 роки тому. Докладно про це сорті і особливості його вирощування, читайте в огляді.
Історія селекції
Ажур зареєстрований в Держреєстрі РФ у 2017 р. Характеризується високими смаковими властивостями і рекомендований до вирощування в умовах помірного клімату середньої смуги Росії і її центральних районів. Це 4-а зона зимостійкості з мінімальною зимовою температурою -35°С. Сорт також адаптований до клімату і в регіонах з більш високими зимовими температурами.
Враховуючи те, що молоді бульби можна вживати в їжу вже на 45-й день, у південних регіонах практикують посадку Ажуру 2 рази на рік: навесні і влітку, після збирання врожаю. Оригінатор — ВНДІ Картопляного господарства, що випустила цей сорт у співпраці з ТОВ «Агрофірма Седек». Метою селекції було отримання картоплі з високою врожайністю.

Ботанічний опис
Картопля — багаторічник. Його листя відмирають після цвітіння і утворення бульб. Квіти запилюються шмелями та іншими комахами. Після цвітіння на стеблах утворюються невеликі округлі зелені плоди. У кожному з них — близько 300 насінин.
Нові сорти картоплі отримують з насіння. Надалі отриманий сорт розмножується, як і решта вегетативно, шляхом посадки бульб або їх фрагментів. Для утворення куща потрібно, щоб на фрагменті було 3-4 вічка. Кущі, що розмножуються з бульб, є клонами батьківської рослини.
Бульб
Сорт відрізняється середніми за розміром, однорідними бульбами вагою від 100 до 120 р. Один кущ Ажуру забезпечить 10-13 однакових картоплин. За результатами випробувань, які проходить будь-який сорт до реєстрації у Держреєстрі, урожайність склала 187-410 ц/га. Максимальну врожайність Ажур показав у Брянській області. Але в основному вона залежить від клімату, а також від родючості грунту.

Характеристика бульб:
- базова: однорідні, приблизно однакової ваги 100-120 г;
- колір шкірки: рожевий;
- колір м'якоті: світло-кремовий;
- форма: овальна;
- вічка: дрібні.
Кущів
Кущ Ажуру розкидистий і сильнорослий, досягає висоти 55 див. Листя великі. Край листкової пластини хвилястий, злегка зазубрений. Колір — темно-зелений. Квіти — фіолетові. Їх може утворюватися не так багато, але це не впливає на врожайність.
Характеристика сорту
Сорт вважається раннім, високоврожайних, столовим. Його однорідні бульби володіють непоганими смаковими характеристиками, в тому числі крахмалистостью на рівні 13-16%.

Імунітет до захворювань
Сорт не уражається раком і паршею, помірно стійкий до фітофторозу. Більшість сортів чутливі до гнилі, якщо знаходяться в занадто вологому грунті, тому ретельно підходите до вибору ділянки — це допоможе зменшити ризик виникнення грибкових захворювань.
Терміни дозрівання
Ажур є ранньостиглим сортом. Викопувати бульби можна вже на 45-й день після появи сходів. Для повного дозрівання знадобиться 70-75 днів.
Врожайність
Врожайність складається з 2 ключових величин: кількість бульб на одиницю площі та їх вага. Обидва параметра залежать від родючості грунту. В середньому 1 кущ Ажуру — це 10-13 картоплин середнього розміру, вагою близько 100 р.
Врожайність сорту, показана при дослідженнях, становить 187-410 ц/га. Це великий розкид, але він дійсно показує різницю в родючості ділянок. Оригінатором заявлена врожайність — 500 ц/га.
Лежкість
На лежкість бульб впливає температура зберігання, наявність хвороботворних мікроорганізмів у приміщенні, де зберігають урожай і здоров'я бульб до закладки на зберігання. Оригінатор заявляє лежкість 94%, але цей показник може змінюватися.

Правила посадки картоплі у відкритий грунт
Посадка картоплі включає:
- підготовку насіннєвого матеріалу;
- передпосівну підготовку ґрунту;
- посадку.
Оптимальний час для посадки
Картопля — овоч прохолодної погоди, і висаджують його за місяць до дати останнього приморозку. Температура повітря повинна бути не нижче +5°С. Така температура встановлюється до кінця березня. Продовжувати посадку можна весь квітень.
Вибір місця і підготовка ґрунту
Грунт має бути добре дренирована і не схильна до заболочування. Картопля лояльний до типах ґрунтів, але найкращим є добре дренування ї суглинок. Уникайте важких глинистих грунтів. Вони не пропускають повітря, призводять до сплющиванию картоплин і в період дощів утримують занадто багато вологи.
Пісковики дуже швидко втрачають вологу, тому їх розбавляють більш важким грунтом, щоб сповільнити тужавіння. Необхідний рівень кислотності — 5,5 до 7 pH. Для кислих грунтів рекомендується з осені внести доломітове борошно, вапно або крейда для розкислення.

Вносити ці речовини одночасно з добривами не можна. Наприклад, азот і вапно взаємно нейтралізують один одного. На кислому грунті рослини виходять слабкими, врожайність — низькою, також посилюється захворюваність гниллю. Картоплі потрібно як мінімум 6 годин сонячного світла в день. Йому також знадобиться щотижневий полив.
Якщо покрити грунт мульчею, це допоможе запобігти надмірне висихання грунту, забезпечить бульб оптимальну температуру для розвитку. Краще коренеплоди ростуть при температурі від +15°С до +21°С. Рівень кислотності грунту 5,0–5,5 pH мінімізує ризик розвитку грибкових захворювань, в тому числі парші.
Хороші і погані попередники
Масове вирощування однієї і тієї ж культури або споріднених культур призводить до збільшення популяції шкідників або патогенних мікроорганізмів. Крім того, рослини витрачають поживні речовини, виснажуючи ґрунт. Щоб вирішити ці проблеми, необхідно дотримуватися сівозміни.

Основні правила:
- Розділіть весь ділянку на кілька областей (до 4) за культурами, які вирощуєте.
- Ранню картоплю можна висаджувати після огірка, гарбуза, капусти, бобових.
- не Можна вирощувати картоплю після того, як на цій же ділянці був картоплю в минулому сезоні або після томатів, баклажанів і перцю.
- Повернутися з посадкою картоплі на ту ж ділянку можна не раніше, ніж через 5 років.
- Якщо ділянка занадто малий, і картоплю можна посадити тільки на ньому, то сійте після збору врожаю ділянку зеленими добривами (сидератами). Це можуть бути бобові, жито і інші культури. Вони разрыхлят грунт і удобрять її поживними речовинами.
Важливо враховувати, що рослини поділяють на 4 основні групи:
- Бобові (боби, горох, квасоля).
- Коренеплоди (редька, морква, картопля, цибуля, часник, буряк, бруква, батат, цибуля-шалот).
- Листова зелень (шпинат, мангольд, білокачанна капуста, цвітна капуста, брокколі).
- Плодоносні (помідори, цукрова кукурудза, огірки, гарбуз, кабачки, баклажани).
Підготовка посадкового матеріалу
Картоплю висаджують бульбами або частинами бульб. За кілька тижнів до посадки насіннєву картоплю поміщають у тепле приміщення з температурою від 15°С до +21°С. Коли паростки досягають розміру 0,5 см — картопля майже готовий до посадки.

Якщо посадка буде проводитися фрагментами бульб, то розрізи виконують стерильним ножем, потім матеріал підсушують протягом 2-3 днів. На кожному фрагменті повинно бути не менше 2 вічок.
Технологія, схема і глибина посадки
Технічно посадка включає три етапи:
- Підготовка ділянки, яка починається з осені.
- Передпосадкова обробка картоплин.
- Безпосередньо сама процедура.
Існує кілька базових методів посадки:
- Траншейний метод. Глибина траншей — 30 см, відстань між ними — 50-70 см. Дно траншеї вкривають соломою для забезпечення правильного режиму вологості. Зверху укладають шар соломи органічних добрив — гною або компосту. Вище укладають шар грунту і додають золу. Бульби розкладають на відстані 30 см один від одного і закривають траншею грунтом. Розташування траншеї — з півночі на південь.
![Посадка картоплі в траншею Посадка картоплі в траншею]()
- Традиційний для особистих господарств метод «на лопату». На ділянці роблять лунки з відстанню між ними — 30-40 см. Глибина — 10 див. На дно лунки укладають перепрілий гній або компост, потім — невеликий шар грунту. На нього укладають картоплини і засипають грунтом.
![Традиційна посадка під лопату Традиційна посадка під лопату]()
- Спочатку формують гребені з грунту з відстанню між ними — 70 див. В них укладають картоплини на відстані 30-40 см між бульбами. По мірі росту, картоплю підгортають і отримують висоту гребеня — до 40 див.
![Посадка картоплі в гребені Посадка картоплі в гребені]()
Кожен метод має достоїнствами і недоліками, але є і функціональна сторона — траншейний метод хороший на легких піщаних ґрунтах, а гребневий — на глинистих. В основі будь-якого з них — створення бульб правильних умов для росту і розвитку.
Як доглядати за картоплею?
Догляд за посівами залежить від методу посадки. Але кожен з них включає:
- полив;
- підгортання;
- внесення добрив;
- боротьбу з шкідниками.
Режим зрошення
Частота поливу залежить від того, наскільки швидко грунт втрачає вологу. Піщаний грунт поливають частіше — 2 рази в тиждень. Поліпшити ситуацію допоможе мульчування. Покривні матеріали, тирса, солома чи інші, запобіжать швидке висихання грунту і її спресовування. Глинистий ділянку поливають 1 раз в тиждень.

Полив до цвітіння потрібен для того, щоб організувати оптимальні умови для вегетації. Під час цвітіння відбувається закладання бульб і полив також необхідний. Але коли кущі припинять зростання, а стебла почнуть в'янути зрошення припиняють.
Правила поливу:
- Не поливайте до першого підгортання. Це сприяє більш широкому розвитку кореневої системи.
- Не поливайте глибше, ніж на 40 см (там немає картоплі).
- Забезпечте рівномірність поливів.
Підгодівлі
Відразу після проростання починає розвиватися надземна частина рослини. На цьому етапі потрібно інтенсивно забезпечувати рослину водою та поживними речовинами. Потім починає формуватися коренева система.
Необхідні картоплі речовини:
- азот — для стимуляції росту, збільшення кількості листків і посилення фотосинтезу;
- фосфор — для прискорення росту кореневої системи;
- калій — для стимуляції росту коренів і листя, регулювання водного балансу та обміну речовин.

Першу підгодівлю проводять через 2 тижні після посадки. Для цього вибирайте добриво з рівними частинами азоту, фосфору і калію в ньому. Норма внесення мінеральних добрив — 7 кг добрив на 300 м2 ділянки. Продовжуйте вносити підживлення кожні 4 тижні і припиніть за 2 тижні до збору врожаю.
Прополка бур'янів і розпушування ґрунту
Видалення бур'янів залишає більше поживних речовин бульб і полегшує збирання врожаю. Боротьбу з ними поєднують із розпушуванням грунту і підгортанням — збільшенням насипу навколо картоплі. Мета підгортання — збільшення об'єму кореневої системи і, відповідно, збільшення кількості бульб.

Процедуру проводять при будь-якому методі посадки, починаючи з моменту, коли стебла досягнуть висоти 10-15 см, тобто приблизно через 2 тижні після посадки. Друге підгортання проводять під час цвітіння. Вважається, що бульбоутворення відбувається саме в цей момент. Але таке твердження вірно не для всіх сортів. Після того, як картопля відцвів, підгортання не проводять.
Профілактична обробка від хвороб і шкідників
Хвороби картоплі проявляються у вигляді плям на листках, нальоту, в'янення листя. Віруси і бактерії потрапляють всередину рослинних тканин з-за механічних ушкоджень або пошкоджень шкідниками.
Основні захворювання картоплі:
- Бактеріальне в'янення або коричнева гниль — найсерйозніше бактеріальне захворювання. Починається з пожовтіння листя. Потім вони темніють і висихають, а на стеблах виникає біла слиз. Ефективним протидіють засобом вважається дотримання правил сівозміни.
![Бактеріальне в'янення картоплі Бактеріальне в'янення картоплі]()
- Чорна ніжка картоплі і м'яка гниль бульб поширюються при теплій і вологій погоді. Уражається в першу чергу нижня частина стебла, а потім чорнота і в'янення просуваються вгору. Контроль вологості і недопущення перезволоження — основний спосіб профілактики захворювання.
![Чорна ніжка картоплі Чорна ніжка картоплі]()
- Кільцева гниль є проблемою рецидивуючого захворювання в помірному кліматі. Симптоми зазвичай з'являються у середині сезону або пізніше і включають в'янення стебел. Рослина стає млявим, на зрізах стебла видно коричневі кільця. Профілактика — використання сортів, стійких до хвороби.
![Кільцева гниль на картоплі Кільцева гниль на картоплі]()
- Парша картоплі буває декількох видів. Її основні ознаки — бурі і затверділі плями на бульбах, покриваються тріщинами. Профілактика — посадка стійких до хвороби сортів. До таких належить і Ажур.
![Парша картоплі Парша картоплі]()
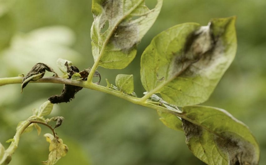
- Фітофтороз вражає картоплиння після цвітіння. Проявляється у вигляді темних плям на листках. Уражені стебла швидко в'януть. При появі перших ознак хвороби проводять обприскування препаратами «Ридоміл», «Фітоспорин».
![Фітофтороз картоплі Фітофтороз картоплі]()
- Хлороз листя або пожовтіння листових пластин з'являються у другій половині літа і не є хворобою, а швидше симптомами нестачі поживних речовин. В якості лікування застосовують обприскування куща залізним купоросом.
![Хлороз або пожовтіння листя Хлороз або пожовтіння листя]()
Як і інші рослини, посіви картоплі атакують шкідники. Підгортання — ефективний метод боротьби з листовими шкідниками, так як при цьому під грунт забирається велика частина листової маси.
Основні шкідники картоплі:
- Колорадський жук — самий розповсюджений шкідник, який живиться листям. Жук неїстівний для птахів, тому на невеликих ділянках картоплі жуків і їх личинки збирають вручну, струшуючи в спеціальну ємність. З хімічних засобів рекомендується застосовувати препарати «Актара» і «Престиж».
![Колорадські жуки на картоплі Колорадські жуки на картоплі]()
- Гусениці — личинки різних метеликів, у тому числі — картопляної совки, листоїди. Небезпечними можуть бути і личинки, які пошкоджують бульби. Боротися з гусеницями допоможе препарат «Золон».
![Гусениця в картоплі Гусениця в картоплі]()
- Дротянки — личинки жука-щелкуна, пошкоджують бульби. Серед екологічно безпечних, але ефективних способів боротьби з ними — посадка гірчиці поруч з картоплею. Її ефірні олії токсичні для дротяників і змушують шкідника покинути дільницю.
![Дротянка в картоплі Дротянка в картоплі]()
- Нематоди — мікроскопічні черв'яки, що живуть як в бульбах, так і на листі. Для боротьби з ними використовують обробку грунту окропом на глибину не менше 20 див. Також бульби і грунт обробляють препаратом «Карбофос».
![Ознака наявності нематоди на картоплі Ознака наявності нематоди на картоплі]()
- Попелиця рідше вражає картоплю, ніж інші культури. Ці маленькі зелені комахи харчуються соком листя. Їх життєдіяльність послаблює рослини, а липкий наліт, який залишають попелиці, служить середовищем для розмноження сажистих грибків. Від шкідника посіви обробляють розчином інсектицидної мила, а також залучають на ділянку комах-хижаків. Так, одна божа корівка здатна з'їсти за своє життя близько 5000 попелиць.
![Попелиця на картоплі Попелиця на картоплі]()
- Трипси — тонкі, подовжені комахи, які харчуються соком. Їх популяції збільшуються при настанні сухої і теплої погоди, тому кращий спосіб боротьби з ними — зволожити посіви картоплі.
![Трипси Трипси]()
Збір і зберігання врожаю
Якщо погода сонячна, а стебла картоплі зів'яли, потрібно почекати ще 2 тижні, поки не зміцніє шкірка, і картопля не буде готовий до збору. З моменту, коли бадилля починає в'янути, полив не проводять.
Картопля може переносити легкий мороз, але краще починати копати до того, як виникне загроза заморожування. Це актуально для тих, хто проводить 2 посадки картоплі: ранньою навесні і влітку, після того як прибрали перший урожай. Термін дозрівання Ажуру — 75 днів, але молоді бульби можна копати вже через 45 днів.
Технологія збирання картоплі:
- Щоб зібрати картоплю, знадобиться лопата. Якщо потрібно викопати пару картоплин на вечерю — починайте з зовнішньої сторони куща. Обережно підніміть його лопатою і візьміть ті бульби, які вам потрібні. Потім опустіть рослина на місце і рясно полийте водою.
- Викопуючи картоплю для зимового зберігання, переконайтеся, що шкірка досить зміцніла. Якщо шкірка легко стирається, залиште картоплини в грунті, нехай вони зміцніють.
- Намагайтеся не пошкодити коріння при викопуванні. Пошкоджені бульби не можуть зберігатися і швидко псуються.

Після збору врожаю, бульби сушать у приміщенні з температурою +7...+16°С протягом приблизно двох тижнів. Це дозволяє шкірці ущільнитися і залікувати мікроподряпини, які з'явилися під час викопування. Зберігають бульби в ящиках. У сухому приміщенні при температурі не вище +10°С.
Якщо своєчасно виконувати нескладні заходи по догляду за картоплею, то ви отримаєте хороший урожай на будь-яких грунтах. Сорт Ажур відрізняється невибагливістю і простотою у догляді, тому ви можете без сумнівів вирощувати його на своїй ділянці.





















