Картопля є однією з основних культур у нашій кулінарії, його вирощують в кожному підсобному господарстві. Одним з популярних для невеликих господарств сортів картоплі є Циганка, йому і присвячена сьогоднішня стаття.
Історія створення сорту
Циганку вважають народним сортом, оскільки достовірних даних про селекціонера немає. Є відомості про батьківські сорти, від схрещування яких з'явився сорт. Це середньостиглий сорт Блакитний Дунай, англійської селекції і ранньостиглий Барон вітчизняної селекції. Отриманий гібрид популярний в малих фермерських господарствах та на присадибних ділянках. Рекомендується до вирощування в центральних та південних регіонах РФ, Білорусі, Молдові, Україні.
Ботанічний опис
Циганочку можна назвати і рано, і середньораннім сортом, оскільки період дозрівання залежить від клімату в регіоні вирощування.
Бульб
Бульби видовжено-овальної форми відрізняються гладкою без ребер і вм'ятин поверхнею. На глянцевому тонкій шкірці світло-чорнильного кольору ледь помітні нечисленні, вічка неглибокі. Маса бульби в середньому 100-130 р. На зрізі бульба демонструє м'якоть вершкового відтінку іноді з фіолетовими вкрапленнями.

Кущів
Компактний кущ з товстими, темними під стати шкірці пагонами та добре розвиненою кореневою системою. Бадилля не облиственная, середніх розмірів листові пластини темно-зеленого кольору, зі слабкою хвилястістю краю, поцятковані прожилками. Приблизно через 5 тижнів після висадки в грунт зацвітає кущ. Яскраві і великі квіти блакитного забарвлення зібрані в пухкий віночок на прямому квітконосі.
Характеристика сорту
Вміст крохмалю в бульбах — 12-14%, що дозволяє використовувати продукт в дієтичному і дитячому харчуванні.

Стійкість до захворювань
Захисні сили картоплі здатні протистояти багатьом захворюванням культури. Висока опірність до таких хвороб:
Середня стійкість до фітофторозу і поразки колорадським жуком.Терміни дозрівання і врожайність
Через два тижні після посадки починається формування бульб, повне дозрівання наступає на 70-90-й день. Терміни багато в чому залежать від кількості тепла, одержуваного зростаючими кущами. стабільна Врожайність і висока: один кущ дає до 14 бульб, з 1 сотки ділянки збирають до 250 кг.

Плюсові якості та можливі недоліки сорту
- Сорт Циганка володіє багатьма перевагами, серед яких:
- висока врожайність;
- рівна поверхня плодів;
- невеликий вміст крохмалю;
- стійкість до більшості захворювань;
- відмінний смак;
- здатність картоплин тримати форму при приготуванні;
- можливість використовувати власний посадковий матеріал.
- Картоплю має і недоліки:
- прибирання проводиться тільки вручну — тонка шкірка схильна до пошкоджень;
- розкид за розміром при плодоношенні — часто утворюються і не товарні дрібні бульби;
- сорт вибагливий до якості ґрунту.
Агротехніка посадки картоплі
Щоб отримати якісний урожай, агротехніки слід приділити підвищену увагу.
Рекомендуємо ознайомитися з ранніми сортами картоплі:
Оптимальні терміни
На відкриті грядки ранні сорти висаджують в травні місяці, число залежить від погодних умов. Оптимальна температура грунту для посадки Циганки +12°С.
Вибір місця
Картоплі для нормального розвитку потрібно гарне освітлення, інакше бадилля почне витягуватися, а коренева система не отримає достатнього розвитку. Від вітру посадки можна захистити невисокими кущами по периметру. Картопля не відрізняється глибокою кореневою системою, але все ж близьке розташування грунтових вод не бажано.

Кращими попередниками культури вважають:
- зелень;
- коренеплоди;
- бобові культури;
- ранні овочі (кабачки, редис).
Підготовка ґрунту
Восени ділянка під посадку очищають від залишків рослин, перекопують, при необхідності розкислюють грунт. Для цього на кожен м2 вносять 200-400 м (в залежності від показника) вапна пушонки. Перед посадкою ділянку ще раз перекопують і вносять добрива (кількість компонентів вказано з розрахунку на м2):
- перегній — 8 кг;
- аміачна селітра — 30 г;
- сульфату калію — 30 р.

Схема посадки
Бульби на посадку відбирають цілі, великі з вираженими очима, протруюють їх у фунгіциді («Максим», «Фітоспорин»). Відмінна схожість дозволяє ділити бульбу на кілька частин, кожна з яких використовується для посадки.

Відео: посадка картоплі

Особливості подальшого догляду
Догляд за культурою полягає в поливах, внесення добрив і в чистоті ґрунту.
Полив
Кращим вибором для картопляних посадок буде крапельний метод поливу. В цьому випадку не утворюється кірка на поверхні ґрунту, вода витрачається економно і не потрапляє на гичку, що може спровокувати фітофтороз. Вода повинна бути прогріта до температури повітря, відстояна, краще застосовувати дощову воду.

Частота проведення процедури:
- через 2-3 тижні після посадки — перший полив;
- поява квіткових зав'язей — другий;
- по закінченні цвітіння — третя процедура.
Підгодівлі
По мірі росту кущів потрібні підгодівлі. Схема внесення добрив:
- перша — у період росту бадилля, сечовина 10 г/10 л води, кореневим методом;
- друга — під час цвітіння, коренева, 15 г сульфату калію і 45 г деревної золи на 10 л води;
- третя — після закінчення цвітіння, для кращого утворення плодів. Настій коров'яку 200 г, 30 г суперфосфату на 10 л води.

Прополка бур'янів і розпушування ґрунту
Регулярно посадку потрібно очищати від бур'янів, рихлити верхній шар ґрунту мінімум на 3 см в глибину. Якщо бульби не будуть отримувати достатньо кисню, їх смак зміниться в гіршу сторону, м'якоть буде жорсткою. За весь вегетативний період проводять дві процедури обгортання. Підгрібають землю до стеблах куща, формуючи своєрідний гребінь.
Боротьба з шкідниками і хворобами
Протруювання посадкового матеріалу і дотримання сівозміни зміцнюють властивість Циганки протистояти основних хвороб. Рідко, але трапляється ураження фітофторозом і шкідниками. Методи усунення можливих проблем:
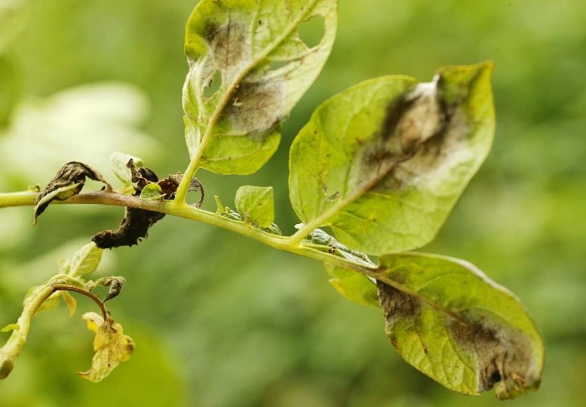
- Фітофтороз. Ефективно застосування препарату «Триходермін», обприскування розчином 10 г/5 л води або полив 10 г /1 л. Біологічний засіб можна використовувати протягом усього сезону. Препарат ефективний проти більшості грибкових хвороб культури і вірусних захворювань.
![Фітофтороз картоплі на листках Фітофтороз картоплі на листках]()
- Колорадський жук. Препарат «Апачі» справляється з колорадським жуком на всіх стадіях його розвитку. Обприскування проводять розчином 0,5 г /1 л води.
![Колорадський жук Колорадський жук]()
- Жук-ковалика і його личинка дротянка. Препарат «Карате» розводять у пропорції 0,2 мл/1 л води, обприскують посадку.
![Жук-ковалика і його личинка дротянка Жук-ковалика і його личинка дротянка]()
Збір і зберігання врожаю
За тиждень до передбачуваної прибирання зрізають бадилля, щоб бульби накопичили максимум корисних елементів. Збір проводять вручну, оскільки коренеплід з тонкою шкіркою легко пошкоджується, відповідно, не зберігається довго. Перед закладанням на зберігання бульби обтрушують від налиплого ґрунту, просушують і обробляють біологічними фунгіцидами («Фітоспорін-М»). Ящики з продуктом поміщають в сухе, провітрюваний погріб. Температура зберігання — +1...+3°С, вологість — 70-80%.
Циганка отримала позитивні відгуки від більшості городників. Дотримуючись правил агротехніки, можна виростити відмінний урожай смачного й корисного овочу.

Сорт картоплі Эльмундо: опис, агротехніка вирощування і догляд
Опис і характеристики картоплі сорту Тімо 







